Log In/Sign Up
Your email has been sent.
INVESTMENT HIGHLIGHTS
- Fully fenced and gated
- Not in floodplain
EXECUTIVE SUMMARY
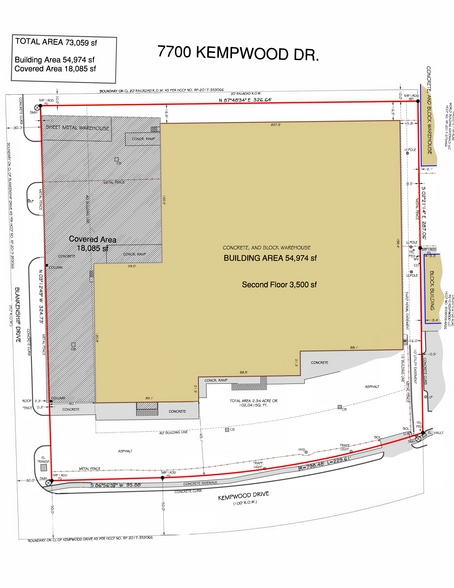
Total SF: ±54,974 SF
• ±1,000 SF Existing office
• ±3,500 SF Concrete mezzanine
• ±50,474 SF Warehouse
Construction: Tilt-wall
Sprinklers: Fully sprinklered
Clear Height: ±23´
Column Spacing: ±30' x ±30'
Power: 3-Phase / 480 volts
Loading: Two (2) 10' x 10' grade-level doors
Six (6) dock-high doors
2 Pit levelers
±110' Truck court
Features: ±18,085 SF covered truck court and outside storage area (not included in Total SF)
One (1) HVLS fan
HVAC'D warehouse (±60 Tons)
Fully fenced and gated
Multiple curb cuts along Kempwood Dr. and Blankenship Dr.
Not in floodplain
ECONOMIC DATA
Sale Price: Call for Information
Tax Rate: 2.304%
• ±1,000 SF Existing office
• ±3,500 SF Concrete mezzanine
• ±50,474 SF Warehouse
Construction: Tilt-wall
Sprinklers: Fully sprinklered
Clear Height: ±23´
Column Spacing: ±30' x ±30'
Power: 3-Phase / 480 volts
Loading: Two (2) 10' x 10' grade-level doors
Six (6) dock-high doors
2 Pit levelers
±110' Truck court
Features: ±18,085 SF covered truck court and outside storage area (not included in Total SF)
One (1) HVLS fan
HVAC'D warehouse (±60 Tons)
Fully fenced and gated
Multiple curb cuts along Kempwood Dr. and Blankenship Dr.
Not in floodplain
ECONOMIC DATA
Sale Price: Call for Information
Tax Rate: 2.304%
PROPERTY FACTS
| Sale Type | Owner User | No. Stories | 1 |
| Property Type | Industrial | Year Built | 1975 |
| Property Subtype | Warehouse | Tenancy | Single |
| Building Class | B | Clear Ceiling Height | 23’ |
| Lot Size | 2.35 AC | No. Dock-High Doors/Loading | 6 |
| Rentable Building Area | 54,974 SF | No. Drive In / Grade-Level Doors | 2 |
| Sale Type | Owner User |
| Property Type | Industrial |
| Property Subtype | Warehouse |
| Building Class | B |
| Lot Size | 2.35 AC |
| Rentable Building Area | 54,974 SF |
| No. Stories | 1 |
| Year Built | 1975 |
| Tenancy | Single |
| Clear Ceiling Height | 23’ |
| No. Dock-High Doors/Loading | 6 |
| No. Drive In / Grade-Level Doors | 2 |
AMENITIES
- Fenced Lot
- Storage Space
UTILITIES
- Lighting - Fluorescent
- Water - City
- Sewer - City
PROPERTY TAXES
| Parcel Number | 0941500000003 | Improvements Assessment | $3,484,147 CAD |
| Land Assessment | $500,419 CAD | Total Assessment | $3,984,566 CAD |
PROPERTY TAXES
Parcel Number
0941500000003
Land Assessment
$500,419 CAD
Improvements Assessment
$3,484,147 CAD
Total Assessment
$3,984,566 CAD
1 of 7
VIDEOS
MATTERPORT 3D EXTERIOR
MATTERPORT 3D TOUR
PHOTOS
STREET VIEW
STREET
MAP
Presented by
Bodega Liquidation | 7700 Kempwood Dr
Already a member? Log In
Hmm, there seems to have been an error sending your message. Please try again.
Thanks! Your message was sent.




