Log In/Sign Up
Your email has been sent.
Executive Summary
Redevelopment Opportunity in
Downtown Overland Park
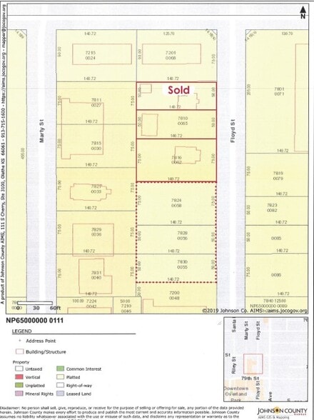
Includes 3 Lots (175 FF x 140.72’ Deep)
.56 Acres with the ability to add an
additional .56 acres
All Utilities on Site
Zoned DFD (Downtown Form District)
Downtown Overland Park
Includes 3 Lots (175 FF x 140.72’ Deep)
.56 Acres with the ability to add an
additional .56 acres
All Utilities on Site
Zoned DFD (Downtown Form District)
Property Facts
| Price | $779,902 CAD | Property Subtype | Commercial |
| Sale Type | Investment | Proposed Use | |
| No. Lots | 1 | Total Lot Size | 0.40 AC |
| Property Type | Land | ||
| Zoning | DFD - Downtown Form District | ||
| Price | $779,902 CAD |
| Sale Type | Investment |
| No. Lots | 1 |
| Property Type | Land |
| Property Subtype | Commercial |
| Proposed Use | |
| Total Lot Size | 0.40 AC |
| Zoning | DFD - Downtown Form District |
1 Lot Available
Lot
| Price | $779,902 CAD | Lot Size | 0.40 AC |
| Price Per AC | $1,949,754.83 CAD |
| Price | $779,902 CAD |
| Price Per AC | $1,949,754.83 CAD |
| Lot Size | 0.40 AC |
1 1
Moderately walkable
60/100
Moderately drivable
70/100
Limited public transit
30/100
Fairly bikeable
50/100
Property Taxes
| Parcel Numbers | Improvements Assessment | $58,829 CAD | |
| Land Assessment | $88,528 CAD | Total Assessment | $147,357 CAD |
Property Taxes
Parcel Numbers
Land Assessment
$88,528 CAD
Improvements Assessment
$58,829 CAD
Total Assessment
$147,357 CAD
1 of 3
Videos
Matterport 3D Exterior
Matterport 3D Tour
Photos
Street View
Street
Map
1 of 1
Presented by
7810-7816 Floyd St
Already a member? Log In
Hmm, there seems to have been an error sending your message. Please try again.
Thanks! Your message was sent.


