Log In/Sign Up
Your email has been sent.
Investment Highlights
- Located within a commercial cannabis park
- no building codes
Executive Summary
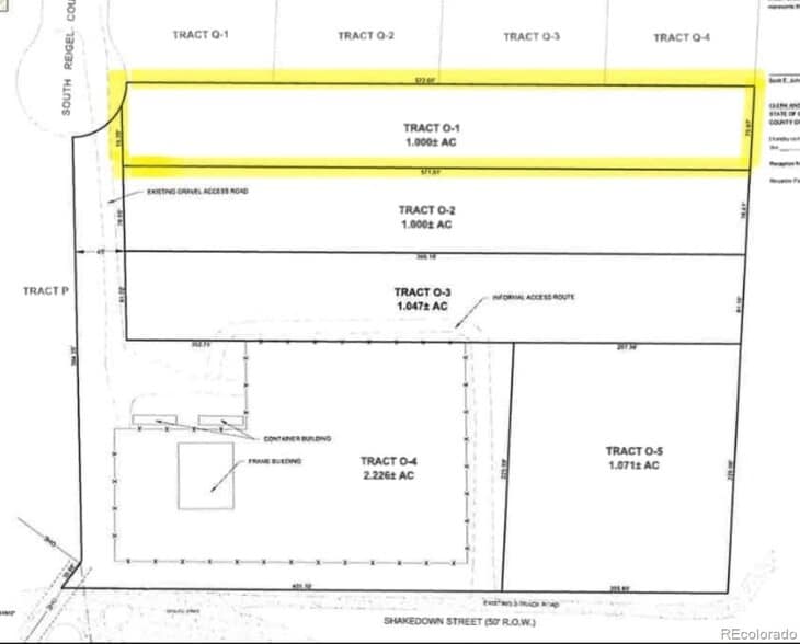
Own a piece of Colorado's Area 420, specifically designated for legal commercial cannabis cultivation. This prime land is situated within a commercial cannabis park, perfect for both indoor and outdoor growing, benefiting from abundant sunshine. With no building codes to restrict your plans, access to electricity, and a reliable clean water supply, you'll be part of a thriving community of growers. Tract 0-1 is adjacent to already fenced properties for added security and partial "done for you" fencing. If you're looking for more than one acre, there are three additional tracts available that link to this one. The plat map is currently preliminary and can be tailored to align with the vision of the first investor before finalizing and recording the lots. This offers a unique opportunity to customize your investment to suit your specific needs and goals.
Directions
Once you enter area 420 take S Riegel Ct to the end of the culdesac. You will see No trespassing signs but go forward and tracts are located directly left.
Directions
Once you enter area 420 take S Riegel Ct to the end of the culdesac. You will see No trespassing signs but go forward and tracts are located directly left.
Property Facts
| Price | $287,213 CAD | Property Subtype | Commercial |
| Sale Type | Investment or Owner User | Proposed Use | Agricultural |
| No. Lots | 1 | Total Lot Size | 1.00 AC |
| Property Type | Land | ||
| Zoning | Cannabis - Located in Area 420, specifically designated for legal commercial cannabis cultivation. | ||
| Price | $287,213 CAD |
| Sale Type | Investment or Owner User |
| No. Lots | 1 |
| Property Type | Land |
| Property Subtype | Commercial |
| Proposed Use | Agricultural |
| Total Lot Size | 1.00 AC |
| Zoning | Cannabis - Located in Area 420, specifically designated for legal commercial cannabis cultivation. |
1 Lot Available
Lot
| Price | $287,213 CAD | Lot Size | 1.00 AC |
| Price Per AC | $287,212.79 CAD |
| Price | $287,213 CAD |
| Price Per AC | $287,212.79 CAD |
| Lot Size | 1.00 AC |
1 1
Not walkable
10/100
Exceptionally drivable
90/100
Fairly bikeable
40/100
Property Taxes
| Parcel Number | 460106500016 | Improvements Assessment | $0 CAD |
| Land Assessment | $117,290 CAD | Total Assessment | $117,290 CAD |
Property Taxes
Parcel Number
460106500016
Land Assessment
$117,290 CAD
Improvements Assessment
$0 CAD
Total Assessment
$117,290 CAD
1 of 3
Videos
Matterport 3D Exterior
Matterport 3D Tour
Photos
Street View
Street
Map
1 of 1
Presented by
800 Reigel Ct
Already a member? Log In
Hmm, there seems to have been an error sending your message. Please try again.
Thanks! Your message was sent.


