Log In/Sign Up
Your email has been sent.
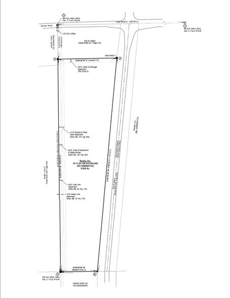
South St. Charles 800 S Saint Charles St 3.82 Acres of Commercial Land for Lease in Jasper, IN 47546



Highlights
- One block east of US231. Great location with easy access to signalized intersection(s)
LOT Available
Display Rental Rate as
| Rental Rate |
|
Lot Size | 3.82 AC |
| Lease Term | Negotiable |
| Rental Rate | |
| Lease Term | Negotiable |
| Lot Size | 3.82 AC |
Built-to-Suit
Property Overview
Commercial zoned property. Shovel ready and turn-key delivered to your company's specifications.
Property Facts
1 1
1 of 4
Videos
Matterport 3D Exterior
Matterport 3D Tour
Photos
Street View
Street
Map
1 of 1
Presented by
South St. Charles | 800 S Saint Charles St
Already a member? Log In
Hmm, there seems to have been an error sending your message. Please try again.
Thanks! Your message was sent.
