Log In/Sign Up
Your email has been sent.
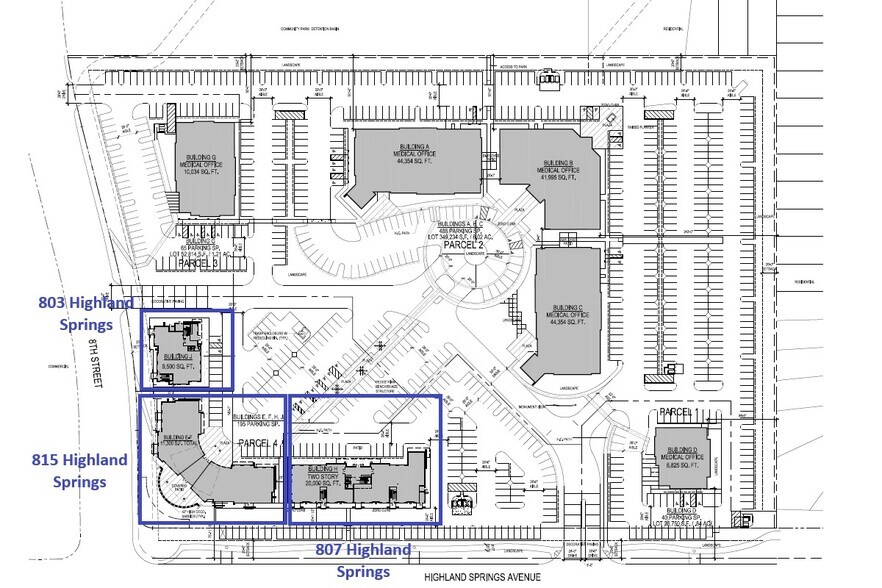
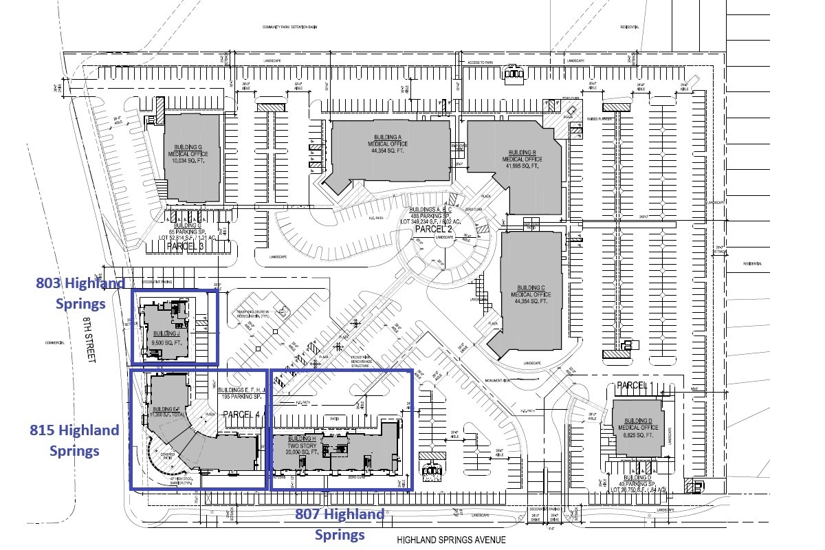
803 Highland Springs (Built to Suit) 803 Highland Springs Ave 5,000 - 9,500 SF of 4-Star Medical Space Available in Beaumont, CA 92223



All Available Space(1)
Display Rental Rate as
- Space
- Size
- Term
- Rental Rate
- Space Use
- Condition
- Available
Built to suit, so looking for long-term lease
- Lease rate does not include utilities, property expenses or building services
| Space | Size | Term | Rental Rate | Space Use | Condition | Available |
| 1st Floor | 5,000-9,500 SF | 10-15 Years | Upon Request Upon Request Upon Request Upon Request | Medical | - | 2027-01-01 |
1st Floor
| Size |
| 5,000-9,500 SF |
| Term |
| 10-15 Years |
| Rental Rate |
| Upon Request Upon Request Upon Request Upon Request |
| Space Use |
| Medical |
| Condition |
| - |
| Available |
| 2027-01-01 |
1 of 4
Videos
Matterport 3D Exterior
Matterport 3D Tour
Photos
Street View
Street
Map
1st Floor
| Size | 5,000-9,500 SF |
| Term | 10-15 Years |
| Rental Rate | Upon Request |
| Space Use | Medical |
| Condition | - |
| Available | 2027-01-01 |
Built to suit, so looking for long-term lease
- Lease rate does not include utilities, property expenses or building services
About the Property
3.5 acres that is subdivided and ready for construction for medical or retail use. Ample parking. High traffic area across the street from San Gorgonio Memorial Hospital and surrounded by residential.
Property Facts
| Total Space Available | 9,500 SF | Building Class | A |
| Min. Divisible | 5,000 SF | Building Size | 9,500 SF |
| Property Type | Health Care | Construction Status | Proposed |
| Property Subtype | Hospital |
| Total Space Available | 9,500 SF |
| Min. Divisible | 5,000 SF |
| Property Type | Health Care |
| Property Subtype | Hospital |
| Building Class | A |
| Building Size | 9,500 SF |
| Construction Status | Proposed |
1 1
1 of 5
Videos
Matterport 3D Exterior
Matterport 3D Tour
Photos
Street View
Street
Map
1 of 1
Presented by
803 Highland Springs (Built to Suit) | 803 Highland Springs Ave
Already a member? Log In
Hmm, there seems to have been an error sending your message. Please try again.
Thanks! Your message was sent.



