Log In/Sign Up
Your email has been sent.
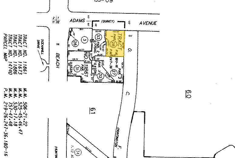
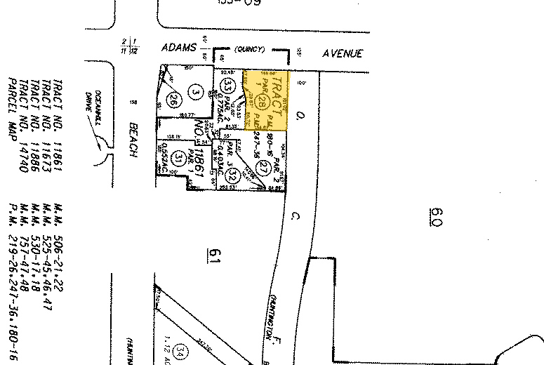
8082 Adams Ave 5,500 SF Retail Building Huntington Beach, CA 92646 For Sale

Executive Summary
Sale subject to bankruptcy court approval
Offering Memorandum coming soon
Please contact broker for more information:
Preston Guillory
Vice President
eXp Commercial of California, Inc.
(949) 740-3308
preston.guillory@expcommercial.com
Offering Memorandum coming soon
Please contact broker for more information:
Preston Guillory
Vice President
eXp Commercial of California, Inc.
(949) 740-3308
preston.guillory@expcommercial.com
Property Facts
Sale Type
Investment or Owner User
Property Type
Retail
Property Subtype
Restaurant
Building Size
5,500 SF
Building Class
B
Year Built
1987
Tenancy
Single
Building Height
1 Story
Building FAR
0.21
Lot Size
0.60 AC
Zoning
SP 14 - https://www.huntingtonbeachca.gov/departments/community_development/planning_zoning/specific_plans.php#outer-2981
Parking
20 Spaces (3.64 Spaces per 1,000 SF Leased)
Frontage
117’ on Adams Ave
Walk Score®
Very Walkable (82)
Bike Score®
Very Bikeable (72)
Nearby Major Retailers
Property Taxes
| Parcel Number | 151-282-28 | Improvements Assessment | $1,664,819 CAD |
| Land Assessment | $2,440,217 CAD | Total Assessment | $4,105,036 CAD |
Property Taxes
Parcel Number
151-282-28
Land Assessment
$2,440,217 CAD
Improvements Assessment
$1,664,819 CAD
Total Assessment
$4,105,036 CAD
1 of 2
Videos
Matterport 3D Exterior
Matterport 3D Tour
Photos
Street View
Street
Map
Presented by
8082 Adams Ave
Already a member? Log In
Hmm, there seems to have been an error sending your message. Please try again.
Thanks! Your message was sent.
