Log In/Sign Up
Your email has been sent.
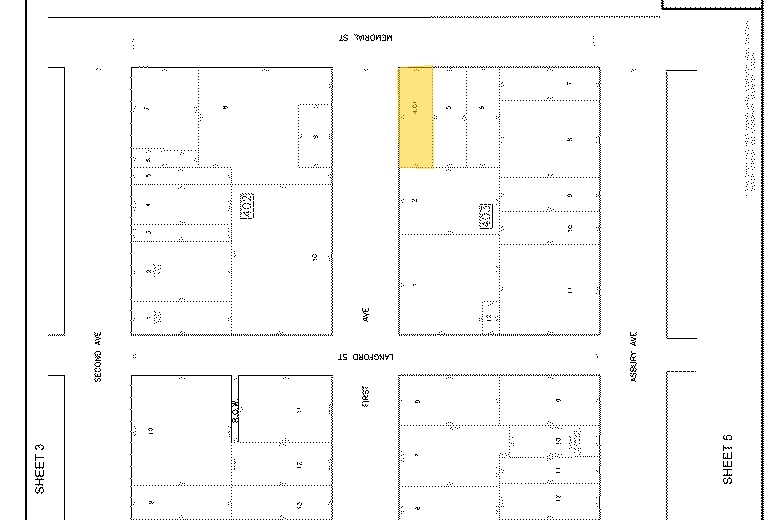
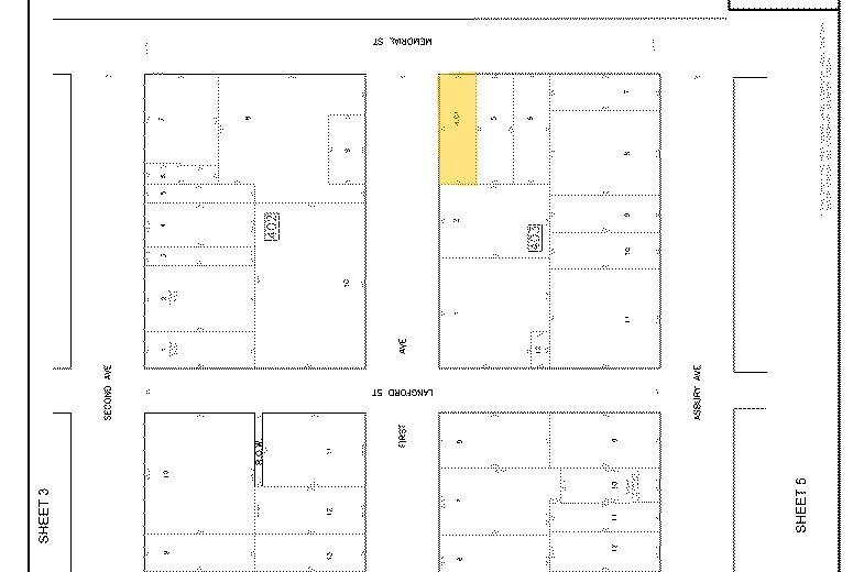
811 Memorial Dr
Asbury Park, NJ 07712
Industrial Property For Sale

INVESTMENT HIGHLIGHTS
- Excellent access to Route 18, Route 33 and Route 35.
EXECUTIVE SUMMARY
Located in Asbury Park in Monmouth County, New Jersey. Built in 1950’s and renovated in 2000’s, the property is ideally suited for uses
such as:
¬ Light Manufacturing
¬ Contractors
¬ Storage
¬ Tradesmen
such as:
¬ Light Manufacturing
¬ Contractors
¬ Storage
¬ Tradesmen
PROPERTY FACTS
PROPERTY TAXES
| Parcel Number | 04-00403-0000-00004 | Improvements Assessment | $745,097 CAD |
| Land Assessment | $350,128 CAD | Total Assessment | $1,095,225 CAD |
PROPERTY TAXES
Parcel Number
04-00403-0000-00004
Land Assessment
$350,128 CAD
Improvements Assessment
$745,097 CAD
Total Assessment
$1,095,225 CAD
1 of 2
VIDEOS
MATTERPORT 3D EXTERIOR
MATTERPORT 3D TOUR
PHOTOS
STREET VIEW
STREET
MAP
