Log In/Sign Up
Your email has been sent.
815 3rd Ave 26,094 SF 100% Leased Office Building Chula Vista, CA 91911 For Sale



INVESTMENT HIGHLIGHTS
- Value-Add and Land-Basis Positioning
- Downtown Chula Vista Infill Location
- Near-Term Income with Repositioning Potential
- Urban Core / Specific Plan Corridor District
- Month-to-Month Tenancy Provides Operational Flexibility
EXECUTIVE SUMMARY
Coldwell Banker Commercial West is pleased to present the opportunity to acquire 815 Third Avenue, a multi-tenant commercial property located in the Downtown Chula Vista submarket of San Diego County, California. The property is situated along Third Avenue, a primary commercial corridor that serves as the historic and economic center of the city.
The asset is positioned as a value-add or redevelopment opportunity, featuring a mix of small office and service-oriented tenants. The existing tenancy profile provides near-term income with potential for repositioning through lease-up, rent optimization, re-tenanting, or redevelopment, subject to buyer due diligence and municipal approvals.
815 Third Avenue benefits from its infill downtown location, proximity to surrounding residential neighborhoods, and convenient access to major regional transportation routes?, including Interstate 5, Interstate 805, and State Route 54. The Downtown Chula Vista submarket is characterized by limited land availability, neighborhood-serving demand, and ongoing public and private investment intended to support long-term revitalization.
The Downtown Chula Vista office market consists primarily of small-format, multi-tenant buildings ?serving local professionals, medical users, and service providers. Compared to coastal and Class A office submarkets within San Diego County, the area offers lower occupancy costs and flexible space configurations, supporting continued demand for well-located properties along established commercial corridors.
This offering presents an opportunity to acquire a property with existing cash flow and long-term upside, supported by its location within a maturing downtown environment. The asset may be suitable for investors, developers, or owner-users seeking exposure to an infill Southern California market with repositioning or ?redevelopment potential.
The asset is positioned as a value-add or redevelopment opportunity, featuring a mix of small office and service-oriented tenants. The existing tenancy profile provides near-term income with potential for repositioning through lease-up, rent optimization, re-tenanting, or redevelopment, subject to buyer due diligence and municipal approvals.
815 Third Avenue benefits from its infill downtown location, proximity to surrounding residential neighborhoods, and convenient access to major regional transportation routes?, including Interstate 5, Interstate 805, and State Route 54. The Downtown Chula Vista submarket is characterized by limited land availability, neighborhood-serving demand, and ongoing public and private investment intended to support long-term revitalization.
The Downtown Chula Vista office market consists primarily of small-format, multi-tenant buildings ?serving local professionals, medical users, and service providers. Compared to coastal and Class A office submarkets within San Diego County, the area offers lower occupancy costs and flexible space configurations, supporting continued demand for well-located properties along established commercial corridors.
This offering presents an opportunity to acquire a property with existing cash flow and long-term upside, supported by its location within a maturing downtown environment. The asset may be suitable for investors, developers, or owner-users seeking exposure to an infill Southern California market with repositioning or ?redevelopment potential.
PROPERTY FACTS
Sale Type
Investment
Property Type
Office
Building Size
26,094 SF
Building Class
B
Year Built
1973
Percent Leased
100%
Tenancy
Multiple
Building Height
3 Stories
Typical Floor Size
8,333 SF
Building FAR
0.62
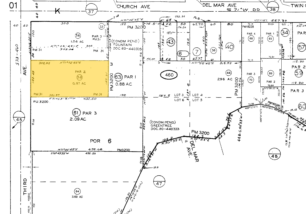
Lot Size
0.97 AC
Zoning
C-1 - Commercial zoning
Parking
65 Spaces (2.6 Spaces per 1,000 SF Leased)
PROPERTY TAXES
| Parcel Number | 573-460-54 | Improvements Assessment | $2,569,186 CAD |
| Land Assessment | $2,087,576 CAD | Total Assessment | $4,656,761 CAD |
PROPERTY TAXES
Parcel Number
573-460-54
Land Assessment
$2,087,576 CAD
Improvements Assessment
$2,569,186 CAD
Total Assessment
$4,656,761 CAD
1 of 18
VIDEOS
MATTERPORT 3D EXTERIOR
MATTERPORT 3D TOUR
PHOTOS
STREET VIEW
STREET
MAP
Presented by
815 3rd Ave
Already a member? Log In
Hmm, there seems to have been an error sending your message. Please try again.
Thanks! Your message was sent.

