Log In/Sign Up
Your email has been sent.
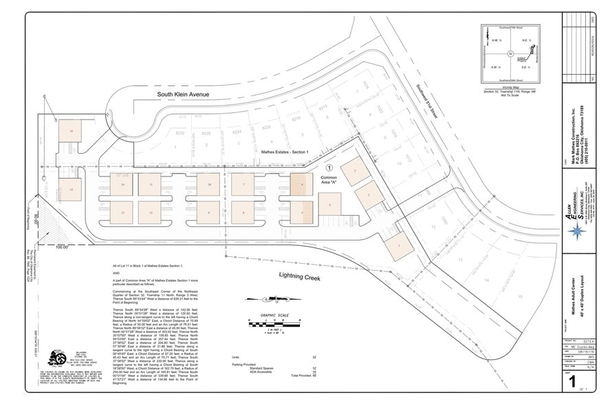
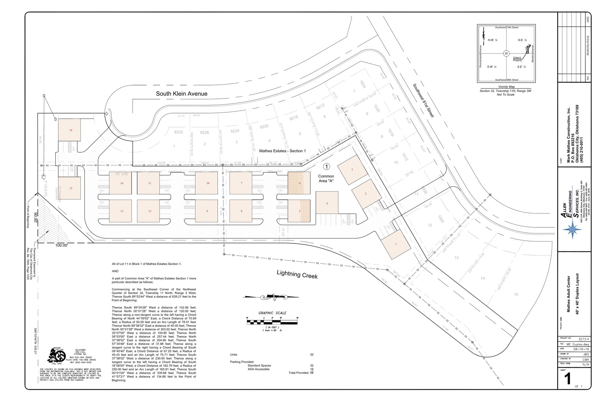
8230 S Klein Ave
Oklahoma City, OK 73139
Senior Housing Land- South OKC · Land For Sale
·
3.15 AC


EXECUTIVE SUMMARY
Investment / Development opportunity at 8230 S Klein Ave in Oklahoma City. This property, zoned SPUD, is primed for multifamily or senior living development. Situated just 5 minutes from I-240, the location offers convenient access to major transportation routes. With utilities already on site, it's prepared for seamless development.
PROPERTY FACTS
1 LOT AVAILABLE
Lot
| Price | $590,866 CAD | Lot Size | 3.15 AC |
| Price Per AC | $187,576.51 CAD |
| Price | $590,866 CAD |
| Price Per AC | $187,576.51 CAD |
| Lot Size | 3.15 AC |
Investment / Development opportunity at 8230 S Klein Ave in Oklahoma City. This property, zoned SPUD, is primed for multifamily or senior living development. Situated just 5 minutes from I-240, the location offers convenient access to major transport
PROPERTY TAXES
| Parcel Number | 207031150 | Improvements Assessment | $0 CAD |
| Land Assessment | $23,347 CAD | Total Assessment | $23,347 CAD |
PROPERTY TAXES
Parcel Number
207031150
Land Assessment
$23,347 CAD
Improvements Assessment
$0 CAD
Total Assessment
$23,347 CAD
1 of 10
VIDEOS
MATTERPORT 3D EXTERIOR
MATTERPORT 3D TOUR
PHOTOS
STREET VIEW
STREET
MAP
