Log In/Sign Up
Your email has been sent.
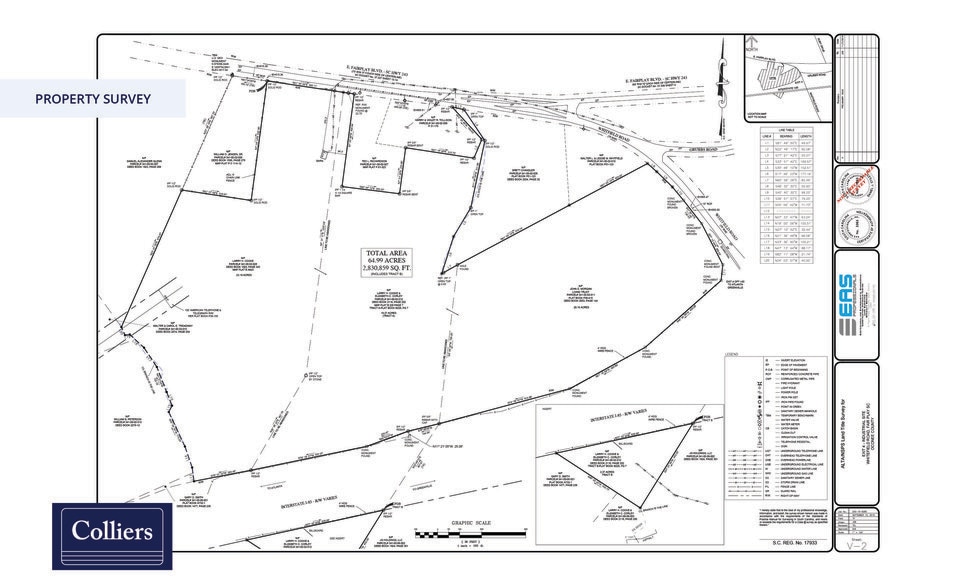
830 E Fairplay Blvd 65 Acres of Commercial Land in Fair Play, SC 29643


Investment Highlights
- ±65 acres (5 parcels)
- All utilities available on-site (electric, water, sewer, gas, fiber)
- Unzoned, located in Oconee County, South Carolina
- ±45,000 VPD (via I-85)
Property Facts
| Sale Type | Owner User | Property Subtype | Commercial |
| No. Lots | 1 | Total Lot Size | 65.00 AC |
| Property Type | Land |
| Sale Type | Owner User |
| No. Lots | 1 |
| Property Type | Land |
| Property Subtype | Commercial |
| Total Lot Size | 65.00 AC |
1 Lot Available
Lot
| Lot Size | 65.00 AC |
| Lot Size | 65.00 AC |
±65 acres divided between 5 parcels
Description
±65 acres are available for sale along Interstate 85 at Exit 4 in Fair Play, SC (Oconee County). The land is undeveloped and unzoned, allowing for maximum flexibility for a variety of uses. All utilities on-site Blue Ridge Electric Cooperative Pioneer Rural Water District Oconee County Sewer (2027 completion) Upcountry Fiber Fort Hill Natural Gas Tax Map No.: 341-00-02-028 341-00-02-012 341-00-01-010 341-00-01-011 341-00-02-031
1 1
Property Taxes
| Parcel Number | 341-00-02-028 | Improvements Assessment | $164 CAD |
| Land Assessment | $50,361 CAD | Total Assessment | $50,525 CAD |
Property Taxes
Parcel Number
341-00-02-028
Land Assessment
$50,361 CAD
Improvements Assessment
$164 CAD
Total Assessment
$50,525 CAD
1 of 3
Videos
Matterport 3D Exterior
Matterport 3D Tour
Photos
Street View
Street
Map
1 of 1
Presented by
830 E Fairplay Blvd
Already a member? Log In
Hmm, there seems to have been an error sending your message. Please try again.
Thanks! Your message was sent.
