Log In/Sign Up
Your email has been sent.
Executive Summary
Unrestricted property ready to be built. We have a month-to-month tenant now. Call for more information
Property Facts
1 Lot Available
Lot
| Price | $2,735,680 CAD | Lot Size | 0.83 AC |
| Price Per AC | $3,296,000.12 CAD |
| Price | $2,735,680 CAD |
| Price Per AC | $3,296,000.12 CAD |
| Lot Size | 0.83 AC |
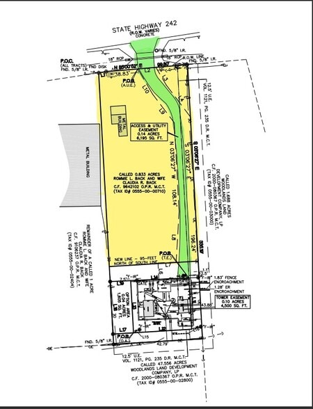
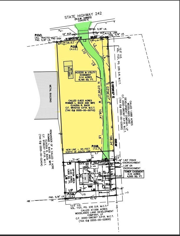
Owner will sell the front 0.53-acre portion for $600,000 or the full 0.83-acre parcel, which includes a cell tower under a 99-year ground lease through 2097 with 12% rent increases for $2m.
Description
Amazing location great access to I-45 call for more details.
1 1
Fairly walkable
50/100
Exceptionally drivable
100/100
Somewhat bikeable
30/100
Property Taxes
| Parcel Number | 0555-00-00710 | Improvements Assessment | $18,135 CAD |
| Land Assessment | $381,190 CAD | Total Assessment | $399,325 CAD |
Property Taxes
Parcel Number
0555-00-00710
Land Assessment
$381,190 CAD
Improvements Assessment
$18,135 CAD
Total Assessment
$399,325 CAD
1 of 22
Videos
Matterport 3D Exterior
Matterport 3D Tour
Photos
Street View
Street
Map
1 of 1
Presented by
8334 Highway 242
Already a member? Log In
Hmm, there seems to have been an error sending your message. Please try again.
Thanks! Your message was sent.



