Log In/Sign Up
Your email has been sent.
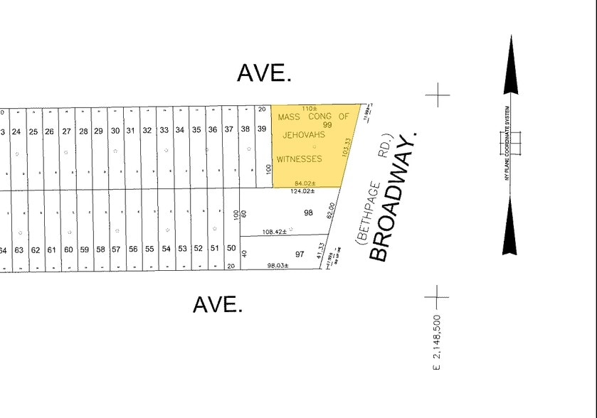
843 N Broadway 3,360 SF Specialty Building Offered For Sale in Massapequa, NY 11758



Investment Highlights
- Located along N Broadway in a high-visibility corridor within Massapequa.
- Surrounded by robust retail options and neighborhood amenities, including dining and banking services.
- Situated in an area with strong household incomes and a stable demographic base.
- Approximately 1.5 miles from Massapequa LIRR Station, providing efficient commuter rail access.
- Convenient access to major highways, including Sunrise Highway and nearby arterial roads.
Property Facts
| Sale Type | Investment | Lot Size | 0.23 AC |
| Property Type | Specialty | Building Size | 3,360 SF |
| Property Subtype | Religious Facility | No. Stories | 2 |
| Building Class | C | Year Built | 1970 |
| Zoning | R1-7 | ||
| Sale Type | Investment |
| Property Type | Specialty |
| Property Subtype | Religious Facility |
| Building Class | C |
| Lot Size | 0.23 AC |
| Building Size | 3,360 SF |
| No. Stories | 2 |
| Year Built | 1970 |
| Zoning | R1-7 |
1 1
Moderately walkable
60/100
Fairly drivable
50/100
Limited public transit
30/100
Moderately bikeable
60/100
Property Taxes
| Parcel Number | 2489-52-119-00-0099-0 | Improvements Assessment | $2,491 CAD |
| Land Assessment | $3,243 CAD | Total Assessment | $5,734 CAD |
Property Taxes
Parcel Number
2489-52-119-00-0099-0
Land Assessment
$3,243 CAD
Improvements Assessment
$2,491 CAD
Total Assessment
$5,734 CAD
1 of 4
Videos
Matterport 3D Exterior
Matterport 3D Tour
Photos
Street View
Street
Map
1 of 1
Presented by
843 N Broadway
Already a member? Log In
Hmm, there seems to have been an error sending your message. Please try again.
Thanks! Your message was sent.
