Log In/Sign Up
Your email has been sent.
Investment Highlights
- Prime location for retail, office, or mixed-use development in a rapidly growing corridor
- High traffic count
- Lot 1 approved by the City of Schertz to begin construction immediately
- Strong demographics
- 3 lots could generate approximately $2.9M
Executive Summary
Exceptional 8.7-Acre Retail/Office Development Opportunity!
The 8.7 acres are fully platted into four (4) commercial lots, with Lot 1 approved by the City of Schertz to begin construction immediately.
Lot 1 – 5.778 Acres
Lot 2 – 1.161 Acres
Lot 3 – 0.881 Acres
Lot 4 – 0.870 Acres
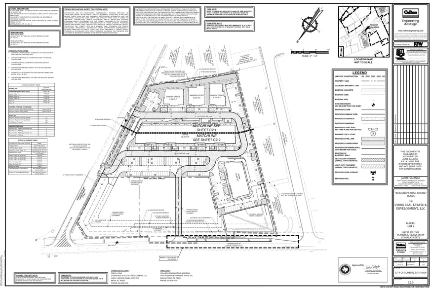
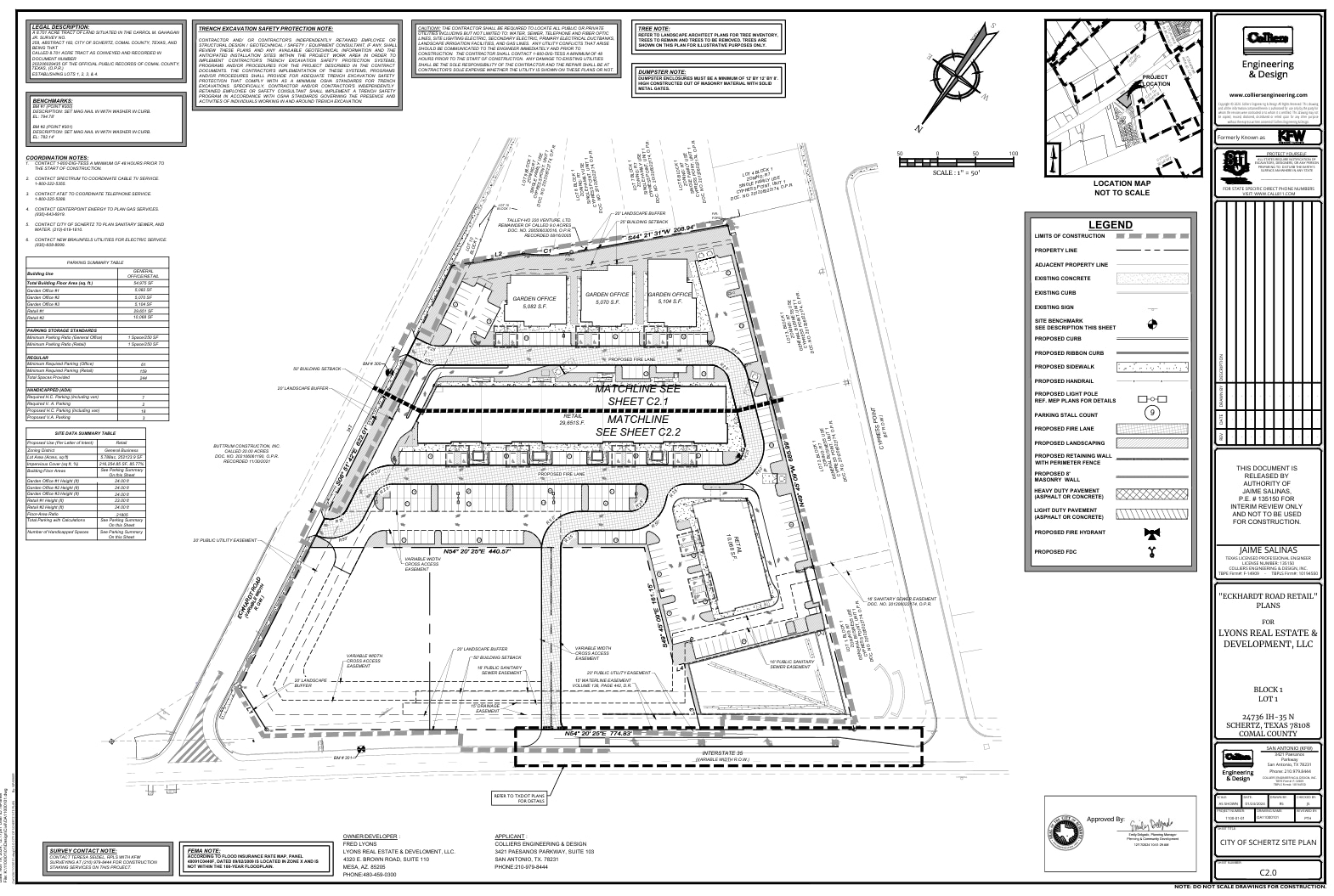
City of Schertz–Approved Site Plans for Lot 1 (5.778 Acres)
Retail Buildings
• Building #1: 29,651 SF
• Building #2: 10,068 SF
Total Retail Construction: 39,719 SF
Garden Office Buildings
• Office #1: 5,082 SF
• Office #2: 5,070 SF
• Office #3: 5,104 SF
Total Garden Office Construction: 15,256 SF
Total Approved Construction on Lot 1: 54,975 SF
Prime location for retail, office, or mixed-use development in a rapidly growing corridor with strong demographics and traffic counts.
Price: $5,690,000 (˜ $15/SF)
Additional Upside
The three remaining lots total approximately 126,847 SF and can be sold, held, or developed.
At an average sales price of $23/SF, the 3 lots could generate approximately $2.9M, with estimated Seller Net proceeds of $2.7M, reducing your effective land cost basis on Lot 1 to roughly $3M (˜ $11.90/SF).
The 8.7 acres are fully platted into four (4) commercial lots, with Lot 1 approved by the City of Schertz to begin construction immediately.
Lot 1 – 5.778 Acres
Lot 2 – 1.161 Acres
Lot 3 – 0.881 Acres
Lot 4 – 0.870 Acres
City of Schertz–Approved Site Plans for Lot 1 (5.778 Acres)
Retail Buildings
• Building #1: 29,651 SF
• Building #2: 10,068 SF
Total Retail Construction: 39,719 SF
Garden Office Buildings
• Office #1: 5,082 SF
• Office #2: 5,070 SF
• Office #3: 5,104 SF
Total Garden Office Construction: 15,256 SF
Total Approved Construction on Lot 1: 54,975 SF
Prime location for retail, office, or mixed-use development in a rapidly growing corridor with strong demographics and traffic counts.
Price: $5,690,000 (˜ $15/SF)
Additional Upside
The three remaining lots total approximately 126,847 SF and can be sold, held, or developed.
At an average sales price of $23/SF, the 3 lots could generate approximately $2.9M, with estimated Seller Net proceeds of $2.7M, reducing your effective land cost basis on Lot 1 to roughly $3M (˜ $11.90/SF).
Property Facts
| Price | $7,797,633 CAD | Number of Properties | 4 |
| Sale Type | Investment | Individually For Sale | 0 |
| Status | Active | Total Land Area | 8.73 AC |
| Price | $7,797,633 CAD |
| Sale Type | Investment |
| Status | Active |
| Number of Properties | 4 |
| Individually For Sale | 0 |
| Total Land Area | 8.73 AC |
Properties
| Property Name / Address | Property Type | Size | Individual Price |
|---|---|---|---|
|
Lot 1 - Retail Development
IH-35 & Eckhardt Rd, Schertz, TX 78108 |
Land | 5.77 AC | - |
|
Lot 2 - Retail Development
I-35 and Eckhardt Rd, Schertz, TX 78108 |
Land | 1.16 AC | - |
|
Lot 4 - Retail Development
I-35 and Eckhardt Rd, Schertz, TX 78108 |
Land | 0.92 AC | - |
|
Lot 3 - Retail Development
I-35 and Eckhardt Rd, Schertz, TX 78108 |
Land | 0.88 AC | - |
1 1
1 of 18
Videos
Matterport 3D Exterior
Matterport 3D Tour
Photos
Street View
Street
Map
1 of 1
Presented by
8.7 Acre Eckhardt Rd Retail Development
Already a member? Log In
Hmm, there seems to have been an error sending your message. Please try again.
Thanks! Your message was sent.



