Log In/Sign Up
Your email has been sent.
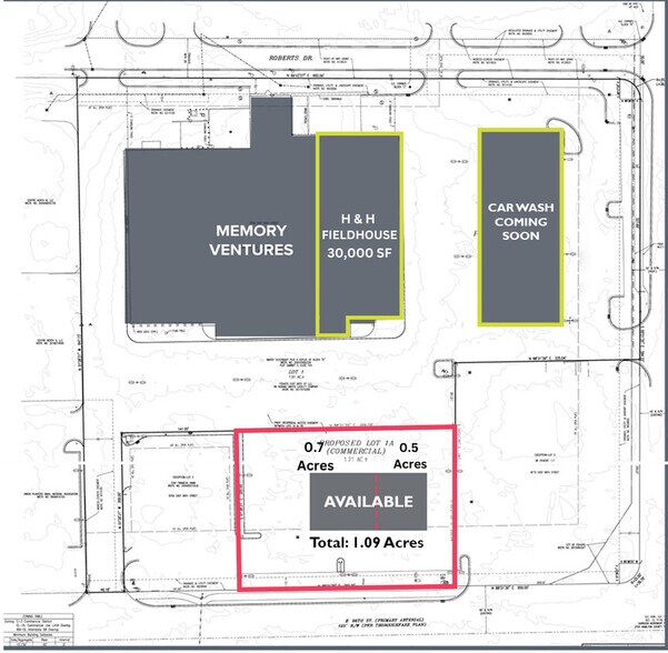
8766 E 96th St
Fishers, IN 46037
Land For Sale
·
1.09 AC


Investment Highlights
- Great Location with high visibility from E. 96th St.
- Two lots at .62 acres and .47 acres.
- Shared parking lot with H & H North Fieldhouse and Memory Ventures
Executive Summary
1.09-acre outlot on 96th Street (divisible: 0.62 & 0.47 acres)drive-thru's are allowed.
Property Facts
1 Lot Available
Lot
| Price | $1,646,976 CAD | Lot Size | 1.09 AC |
| Price Per AC | $1,510,987.19 CAD |
| Price | $1,646,976 CAD |
| Price Per AC | $1,510,987.19 CAD |
| Lot Size | 1.09 AC |
Two out parcels are available in the shopping center with MEMORY VENTURES / H&H FIELDHOUSE.
Property Taxes
| Parcel Numbers | Improvements Assessment | $0 CAD | |
| Land Assessment | $336,669 CAD | Total Assessment | $336,669 CAD |
Property Taxes
Parcel Numbers
Land Assessment
$336,669 CAD
Improvements Assessment
$0 CAD
Total Assessment
$336,669 CAD
1 of 5
Videos
Matterport 3D Exterior
Matterport 3D Tour
Photos
Street View
Street
Map
