Your email has been sent.
8810 Cullen Blvd
Houston, TX 77051
Development Site-Rare 2.27 Acre Near Med Cntr · Land For Sale
·
2.00 AC


INVESTMENT HIGHLIGHTS
- Opportunity Zone, providing capital gains tax deferral and exclusion on appreciation.
- Development flexibility (vacant, ready for new construction)
- Land value growth over 10% YoY
- Prime location near major employment hubs and commuter routes
- Flood Zone X: Minimal flood risk per FEMA panel 48201C0890M.
EXECUTIVE SUMMARY
Property Type: Commercial Acreage
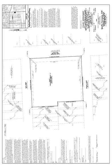
Lot Size: ±99,034 SF (2.2735 acres)
Opportunity Zone: Providing capital gains tax deferral and exclusion on appreciation.
Zoning: Commercial (per County records)
Flood Zone: X (Minimal Risk)
Tax Rate: 2.0924%
This property offers excellent potential for retail, medical, multifamily, or mixed-use development, given its high visibility on Cullen Blvd and strong surrounding demographics.
PROPERTY FACTS
1 LOT AVAILABLE
Lot
| Price | $3,442,225 CAD | Lot Size | 2.00 AC |
| Price Per AC | $1,721,112.43 CAD |
| Price | $3,442,225 CAD |
| Price Per AC | $1,721,112.43 CAD |
| Lot Size | 2.00 AC |
±2.27-acre cleared commercial tract on Cullen Blvd with ~330’ frontage. Ideal for retail, medical, or multifamily development. Phase I & II Environmental completed. Minutes from Texas Medical Center.
DESCRIPTION
Investment Highlights Prime Location: Positioned along Cullen Blvd, with direct access to Houston’s Medical Center South, major employment hubs, and dense residential neighborhoods. Opportunity Zone: Providing capital gains tax deferral and exclusion on appreciation. Projects may qualify for local Workforce/Affordable Housing programs Development Flexibility: Commercial acreage with no current structures—offering a clean slate for investors or developers. Strong Demographics: Within Houston ISD boundaries and near major commuter routes. Land Value Growth: Assessed land value has increased by over 10% year-over-year. Flood Zone X: Minimal flood risk per FEMA panel 48201C0890M.
