Log In/Sign Up
Your email has been sent.
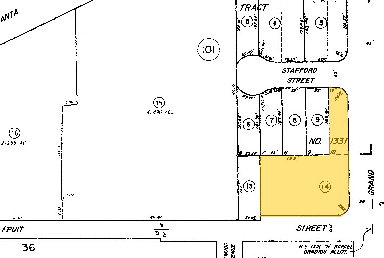
902 N Grand Ave
Santa Ana, CA 92701
Office Property For Sale


Investment Highlights
- Potential COVERED DEVELOPMENT PLAY.....Combine with Contiguous Property.
- Seller is Open to Discuss JOINT VENTURE.....or other Participation Options.
- City of Santa Ana HIGH DENSITY ZONING DISTRICT.....Possibly 125 units / acre.
Executive Summary
* Value Add Medical & General Office Building...with significant Upside.
* Corner location in Central Business area of Santa Ana.
* +/- 20,000 SF currently generating almost $20,000 / month Gross Rent.
* Potential for COVERED DEVELOPMENT PLAY. Current Leases are Short Term.
* Property is +/- .76 Acres....Could be combined with contiguous parcel.
* Project is located in a High Density Zone.....Possible 125 units / ac.
* Seller will consider the possibility of JV or other Participation.
* Corner location in Central Business area of Santa Ana.
* +/- 20,000 SF currently generating almost $20,000 / month Gross Rent.
* Potential for COVERED DEVELOPMENT PLAY. Current Leases are Short Term.
* Property is +/- .76 Acres....Could be combined with contiguous parcel.
* Project is located in a High Density Zone.....Possible 125 units / ac.
* Seller will consider the possibility of JV or other Participation.
Property Facts
Sale Type
Investment or Owner User
Sale Conditions
Property Type
Office
Property Subtype
Medical
Building Size
20,043 SF
Building Class
B
Year Built
1987
Price
$7,832,420 CAD
Price Per SF
$390.78 CAD
Percent Leased
100%
Tenancy
Multiple
Building Height
2 Stories
Typical Floor Size
10,022 SF
Building FAR
0.61
Lot Size
0.76 AC
Opportunity Zone
Yes
Zoning
DC-5 - District Center–High (DC-5) allows for up to 125 units per acre, a 5.0 FAR, and building heights up to 25 stories.
(To be confirmed by Buyer.)
Parking
55 Spaces (2.74 Spaces per 1,000 SF Leased)
Amenities
- Bus Line
- Property Manager on Site
- Security System
- Natural Light
- Open-Plan
- Hardwood Floors
- Air Conditioning
- Balcony
Property Taxes
| Parcel Number | 398-101-14 | Improvements Assessment | $2,566,261 CAD |
| Land Assessment | $2,177,640 CAD | Total Assessment | $4,743,902 CAD |
Property Taxes
Parcel Number
398-101-14
Land Assessment
$2,177,640 CAD
Improvements Assessment
$2,566,261 CAD
Total Assessment
$4,743,902 CAD
1 of 29
Videos
Matterport 3D Exterior
Matterport 3D Tour
Photos
Street View
Street
Map
