Log In/Sign Up
Your email has been sent.
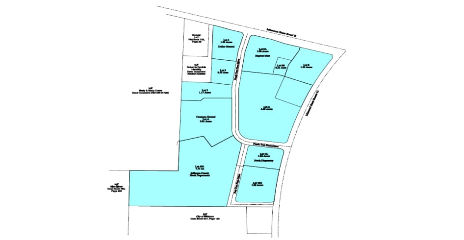
902 Peach Tree Plaza Dr - Peach Tree Plaza Development 0.79 - 4.68 Acre Commercial Land Lots in Hillsboro, MO 63050



Investment Highlights
- Current Retailers: Express Mart c-store, Dollar General, O’Reilly Auto Parts, North Dispensary, Jefferson County Health Department
- 11,618 combined vehicles per day at Hwy 21 & Hwy B
Executive Summary
10+ acres remaining with parcels 2, 3, 8, A, & 4B2 available for sale. Seller willing to adjust lot lines.
Property Facts
| Sale Type | Investment | Property Subtype | Commercial |
| No. Lots | 5 | Total Lot Size | 10.05 AC |
| Property Type | Land | ||
| Zoning | C2 | ||
| Sale Type | Investment |
| No. Lots | 5 |
| Property Type | Land |
| Property Subtype | Commercial |
| Total Lot Size | 10.05 AC |
| Zoning | C2 |
5 Lots Available
Lot 8
| Lot Size | 1.55 AC |
| Lot Size | 1.55 AC |
Lot A
| Lot Size | 4.68 AC |
| Lot Size | 4.68 AC |
Lot 2
| Lot Size | 0.79 AC |
| Lot Size | 0.79 AC |
Lot 3
| Lot Size | 1.17 AC |
| Lot Size | 1.17 AC |
Lot 4B2
| Lot Size | 1.86 AC |
| Lot Size | 1.86 AC |
Description
Peach Tree Plaza commercial development, located at the corner of Hwy 21 & Hwy B.
Somewhat walkable
20/100
Exceptionally drivable
100/100
Not bikeable
10/100
Property Taxes
| Parcel Numbers | Improvements Assessment | $0 CAD | |
| Land Assessment | $144,203 CAD | Total Assessment | $144,203 CAD |
Property Taxes
Parcel Numbers
Land Assessment
$144,203 CAD
Improvements Assessment
$0 CAD
Total Assessment
$144,203 CAD
1 of 4
Videos
Matterport 3D Exterior
Matterport 3D Tour
Photos
Street View
Street
Map
Presented by
902 Peach Tree Plaza Dr - Peach Tree Plaza Development
Already a member? Log In
Hmm, there seems to have been an error sending your message. Please try again.
Thanks! Your message was sent.

