Log In/Sign Up
Your email has been sent.
9050 Airport Blvd - 1.26 ac Outparcel Airport Blvd Baker West 1.26 Acre of Commercial Land Offered at $640,074 - $751,526 CAD Per Lot in Mobile, AL 36608



Investment Highlights
- Great Exposure on Airport Blvd with strong traffic count, Unzoned, Opportunity Zone
Executive Summary
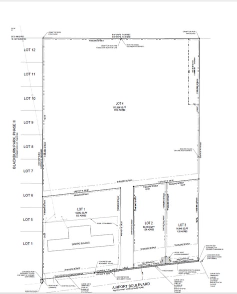
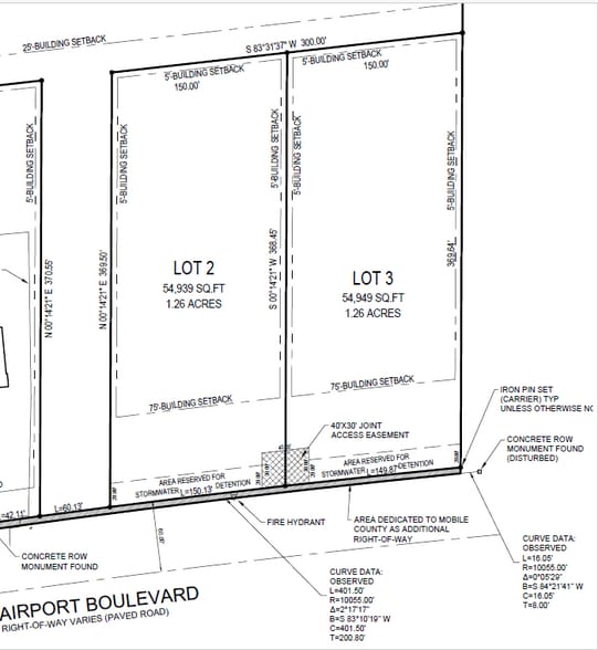
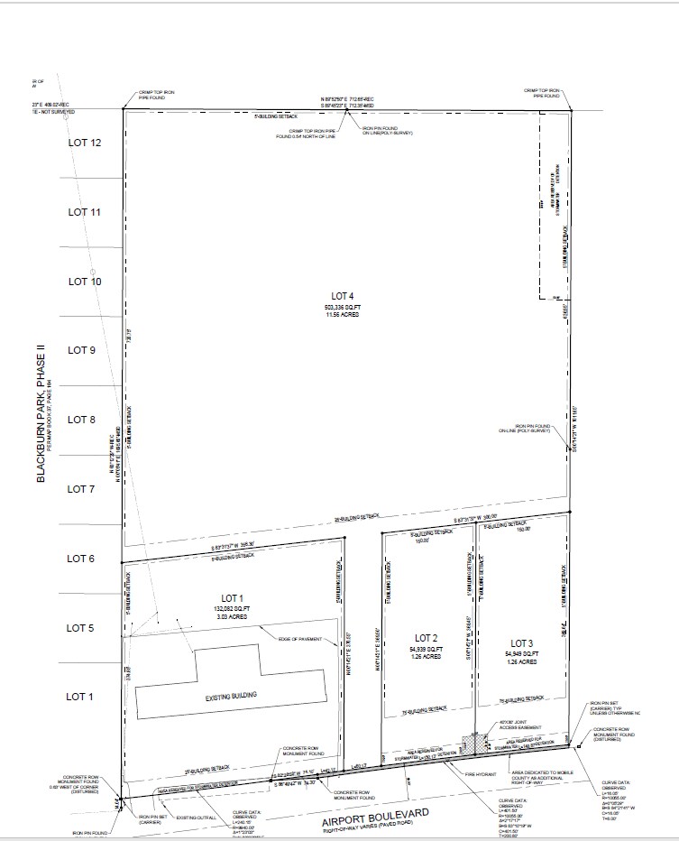
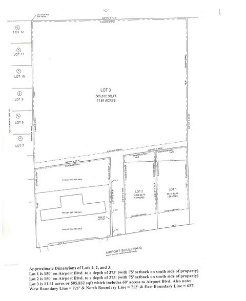
New Baker West Development features two outparcels located on Airport Boulevard, just west of Baker High School and the airport. The available outparcels measure 150' by 370' each, as shown in the attached site plan. The property is offered at appr. $8.50 per square foot and is currently unzoned in the county, providing flexibility for various types of development. The site benefits from a high traffic count of 21,450 vehicles per day (VPD) and is adjacent to a retail strip center as well as another 1.26-acre outparcel, making it an attractive location for commercial use.
Property Facts
2 Lots Available
Lot
| Price | $751,526 CAD | Lot Size | 1.26 AC |
| Price Per AC | $596,449.57 CAD |
| Price | $751,526 CAD |
| Price Per AC | $596,449.57 CAD |
| Lot Size | 1.26 AC |
150' X 370' level lot fronting Airport Blvd just west of Baker High School. Un-zoned in the county.
Lot
| Price | $640,074 CAD | Lot Size | 1.26 AC |
| Price Per AC | $507,995.41 CAD |
| Price | $640,074 CAD |
| Price Per AC | $507,995.41 CAD |
| Lot Size | 1.26 AC |
150' X 370' level lot fronting Airport Blvd just west of Baker High School. Un-zoned in the county.
1 1
Somewhat walkable
30/100
Exceptionally drivable
100/100
Somewhat bikeable
30/100
Property Taxes
| Parcel Number | 27-07-26-0-000-050.01 | Improvements Assessment | $0 CAD |
| Land Assessment | $32,605 CAD | Total Assessment | $32,605 CAD |
Property Taxes
Parcel Number
27-07-26-0-000-050.01
Land Assessment
$32,605 CAD
Improvements Assessment
$0 CAD
Total Assessment
$32,605 CAD
1 of 4
Videos
Matterport 3D Exterior
Matterport 3D Tour
Photos
Street View
Street
Map
1 of 1
Presented by
9050 Airport Blvd - 1.26 ac Outparcel Airport Blvd Baker West
Already a member? Log In
Hmm, there seems to have been an error sending your message. Please try again.
Thanks! Your message was sent.
