Log In/Sign Up
Your email has been sent.
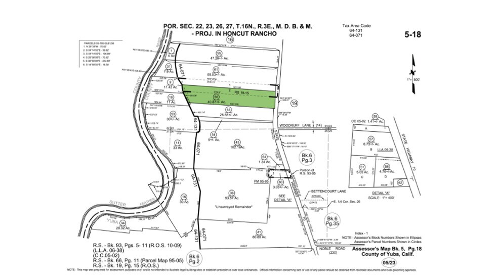
9080 State Highway 70
Marysville, CA 95901
40.87 Acres of Peaches · Land For Sale
·
40.87 AC


Executive Summary
A total of +/- 40.87 acres of land planted with peaches, a 1,670 square foot single story home with a 2-car garage, and a 2,250 square foot shed. The subject property has direct access from State Highway 70 and 584 feet of frontage along State Highway 70. There is an agriculture well located at the center of the property, as well as a recently replaced pump.
The property is currently improved with 5 blocks of peaches planted on 13’ x 18’ spacing. Block 1 is approximately 2 years old, Block 2 is approximately 8 years old, Block 3 is approximately 6 years old, Block 4 is approximately 10 years old, and Block five was recently planted and is around 1 year old.
The property is currently improved with 5 blocks of peaches planted on 13’ x 18’ spacing. Block 1 is approximately 2 years old, Block 2 is approximately 8 years old, Block 3 is approximately 6 years old, Block 4 is approximately 10 years old, and Block five was recently planted and is around 1 year old.
Property Facts
| Sale Type | Investment | Property Subtype | Agricultural |
| No. Lots | 1 | Proposed Use | Agricultural |
| Property Type | Land | Total Lot Size | 40.87 AC |
| Sale Type | Investment |
| No. Lots | 1 |
| Property Type | Land |
| Property Subtype | Agricultural |
| Proposed Use | Agricultural |
| Total Lot Size | 40.87 AC |
1 Lot Available
Lot
| Price | $1,958,685 CAD | Lot Size | 40.87 AC |
| Price Per AC | $47,924.77 CAD |
| Price | $1,958,685 CAD |
| Price Per AC | $47,924.77 CAD |
| Lot Size | 40.87 AC |
1 of 3
Videos
Matterport 3D Exterior
Matterport 3D Tour
Photos
Street View
Street
Map
