Log In/Sign Up
Your email has been sent.
910 U.S. 17 Business
Surfside Beach, SC 29575
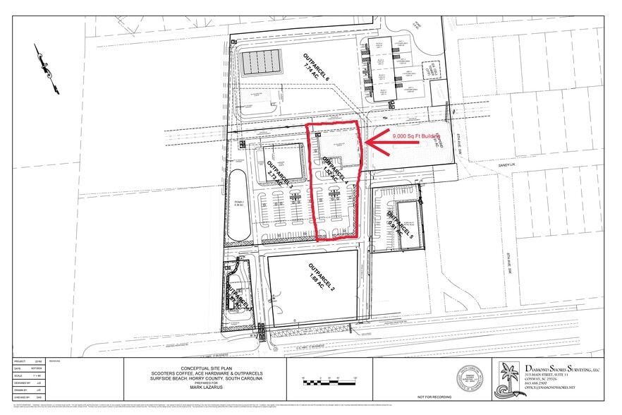
9000 Sq Ft Building w/1.52 Ac- Surfside Beach · Industrial Property For Sale


Executive Summary
1.52 acres of land. 9,000 SF existing building This is a great opportunity for someone to redevelop this 9,000 SF building to fit their needs. Take advantage of the Waterpark being redeveloped in this perfect location. We are in talks with lots of other new stores and food places that are coming to this property. Zoned Commercial. The frontage is along Highway 17 Business with direct access to a traffic light. Formerly the Wild Water & Wheels site for over 30 years. The owner has decided to close it down and create a beautiful commercial development that is truly needed by all the residents in this area. The seller is in the process of removing all debris from the property. Please call with any questions.
Property Facts Under Contract
| Sale Type | Investment or Owner User | Rentable Building Area | 9,000 SF |
| Property Type | Industrial | No. Stories | 1 |
| Property Subtype | Warehouse | Year Built | 1980 |
| Building Class | C | Tenancy | Single |
| Lot Size | 1.52 AC | ||
| Zoning | C1 - Commercial | ||
| Sale Type | Investment or Owner User |
| Property Type | Industrial |
| Property Subtype | Warehouse |
| Building Class | C |
| Lot Size | 1.52 AC |
| Rentable Building Area | 9,000 SF |
| No. Stories | 1 |
| Year Built | 1980 |
| Tenancy | Single |
| Zoning | C1 - Commercial |
Property Taxes
| Parcel Number | 46200000926 | Improvements Assessment | $2,503,250 CAD |
| Land Assessment | $5,646,010 CAD | Total Assessment | $8,149,260 CAD |
Property Taxes
Parcel Number
46200000926
Land Assessment
$5,646,010 CAD
Improvements Assessment
$2,503,250 CAD
Total Assessment
$8,149,260 CAD
1 of 5
Videos
Matterport 3D Exterior
Matterport 3D Tour
Photos
Street View
Street
Map
