Log In/Sign Up
Your email has been sent.
Investment Highlights
- Unrestricted and ready for redevelopment
- Current owner has received approval to plat the site for 32 units (townhouses)
- No flood plain
- Utilities available
Executive Summary
The site is located in the Spring Branch Independent School District, which is renowned for its commitment to academic excellence and fostering a supportive learning environment. With a diverse student body and innovative programs, the district ensures each student is equipped with the skills and knowledge needed for future success. The dedicated educators and community partnerships create a
nurturing atmosphere that encourages both personal and academic growth.
nurturing atmosphere that encourages both personal and academic growth.
Property Facts
| Sale Type | Investment | Proposed Use | Commercial |
| No. Lots | 1 | Total Lot Size | 1.50 AC |
| Property Type | Land | No. Stories | 1 |
| Property Subtype | Commercial | ||
| Zoning | None - None | ||
| Sale Type | Investment |
| No. Lots | 1 |
| Property Type | Land |
| Property Subtype | Commercial |
| Proposed Use | Commercial |
| Total Lot Size | 1.50 AC |
| No. Stories | 1 |
| Zoning | None - None |
1 Lot Available
Lot
| Lot Size | 1.50 AC |
| Lot Size | 1.50 AC |
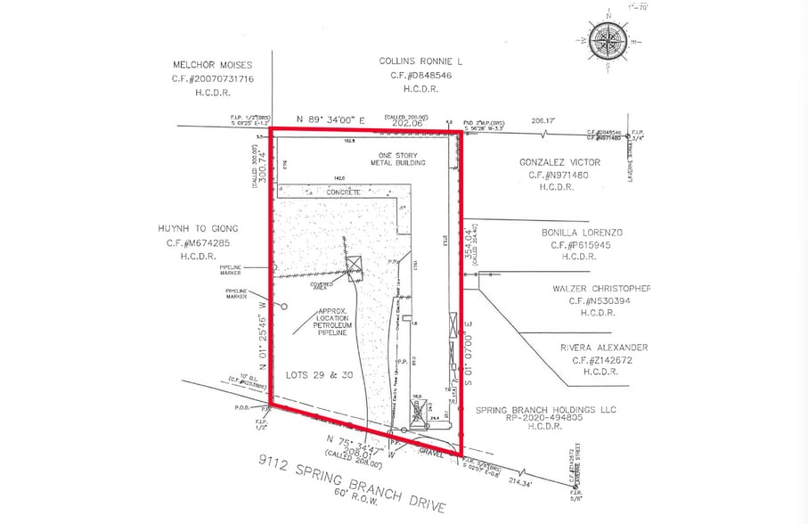
±1.50 Acres of land, including an existing ±11,758 sf of warehouse and office space located at 9112 Spring Branch Dr 77080.
Moderately walkable
60/100
Exceptionally drivable
90/100
Limited public transit
20/100
Fairly bikeable
50/100
1 of 4
Videos
Matterport 3D Exterior
Matterport 3D Tour
Photos
Street View
Street
Map
Presented by
9112 Spring Branch Dr
Already a member? Log In
Hmm, there seems to have been an error sending your message. Please try again.
Thanks! Your message was sent.




