Log In/Sign Up
Your email has been sent.
Investment Highlights
- Corner pad site with dual road frontage and strong visibility.
- Surrounded by schools, parks, and community amenities.
- Concept plan supports medical or retail development.
- Located in a high-growth corridor near I-20 and major arterials.
- Favorable demographics with high household income levels.
Executive Summary
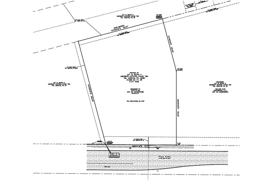
This ±0.771-acre pad site at the northwest corner of W Polo Road and S Robinson Road offers a rare opportunity to secure a prime development parcel in one of Grand Prairie’s most dynamic growth corridors. Positioned for maximum visibility with frontage along two well-traveled roads, the site benefits from traffic counts exceeding 9,000 VPD combined and seamless access to I-20, a major east-west artery connecting the Dallas-Fort Worth metroplex. Surrounding amenities include schools, parks, and community hubs such as the Grand Prairie Family YMCA and Truman Middle School, ensuring strong consumer traffic and neighborhood engagement. The area’s demographics underscore its investment potential, with a five-mile population of nearly 229,000 and average household incomes above $100,000. Utilities are readily accessible, and the concept plan envisions a medical plaza, making this site ideal for healthcare, retail, or service-oriented development. Grand Prairie’s strategic location between Dallas and Fort Worth, coupled with its pro-business environment and robust residential growth, positions this property as a high-value acquisition for developers seeking long-term upside in a thriving submarket.
Property Facts
1 Lot Available
Lot
| Lot Size | 0.77 AC |
| Lot Size | 0.77 AC |
±0.771-acre pad site at the northwest corner of W Polo Road and S Robinson Road.
1 1
Property Taxes
| Parcel Number | 28003700050120000 | Improvements Assessment | $0 CAD |
| Land Assessment | $160,009 CAD | Total Assessment | $160,009 CAD |
Property Taxes
Parcel Number
28003700050120000
Land Assessment
$160,009 CAD
Improvements Assessment
$0 CAD
Total Assessment
$160,009 CAD
1 of 4
Videos
Matterport 3D Exterior
Matterport 3D Tour
Photos
Street View
Street
Map
1 of 1
Presented by
920 Polo Rd
Already a member? Log In
Hmm, there seems to have been an error sending your message. Please try again.
Thanks! Your message was sent.
Your message has been sent!
Activate your LoopNet account now to track properties, get real-time alerts, save time on future inquiries, and more.



