Log In/Sign Up
Your email has been sent.
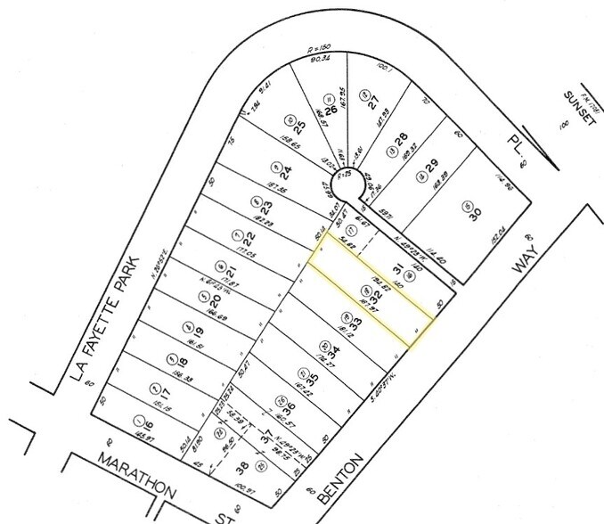
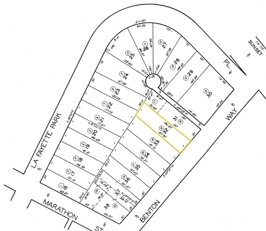
933 N Benton Way
Los Angeles, CA 90026
The Benton · Land For Sale
·
0.22 AC

Investment Highlights
- Ideal for residential development, including single-family homes or duplexes; potential for SB 9 urban lot split and addition of ADUs / JADUs
- Walk Score: 90 – highly walkable area with easy access to cafés, boutiques, and restaurant
- Easy access to major freeways (101, 2, and 5) and public transit routes
- Located in the heart of Los Angeles, near Sunset Junction, Echo Park, and Downtown LA
- Desirable investment opportunity in one of LA’s most sought-after creative neighborhoods
- Vibrant community setting surrounded by parks, local markets, and cultural amenities
Executive Summary
Exceptional development opportunity in the heart of Silver Lake! Located at 933 N Benton Way, this expansive 9,571 sq ft lot offers multiple pathways for value creation under California’s SB 9 legislation (subject to regulations). Build a spacious single-family residence, pursue an urban lot split to create two new parcels, or maximize income potential with ADUs and JADUs on each. Situated near Sunset Junction, the property is surrounded by top-rated restaurants, boutiques, and cafés, with easy access to Downtown LA, Echo Park, and Hollywood. With its ideal location, generous lot size, and flexible development options, this property presents a rare chance to create modern residences in one of Los Angeles’ most desirable and fast-evolving neighborhoods.
Property Facts
1 Lot Available
Lot
| Price | $1,060,510 CAD | Lot Size | 0.22 AC |
| Price Per AC | $4,827,148.22 CAD |
| Price | $1,060,510 CAD |
| Price Per AC | $4,827,148.22 CAD |
| Lot Size | 0.22 AC |
Property Taxes
| Parcel Number | 5402-003-018 | Improvements Assessment | $0 CAD |
| Land Assessment | $971,939 CAD | Total Assessment | $971,939 CAD |
Property Taxes
Parcel Number
5402-003-018
Land Assessment
$971,939 CAD
Improvements Assessment
$0 CAD
Total Assessment
$971,939 CAD
1 of 2
Videos
Matterport 3D Exterior
Matterport 3D Tour
Photos
Street View
Street
Map
