Log In/Sign Up
Your email has been sent.
Blue Line Motel and Trailer Park 950 E Hobsonway 19 Room Hotel Blythe, CA 92225 $1,646,773 CAD ($86,672 CAD/Room)



Investment Highlights
- Motel includes 24 rooms with exterior corridor access and ample parking.
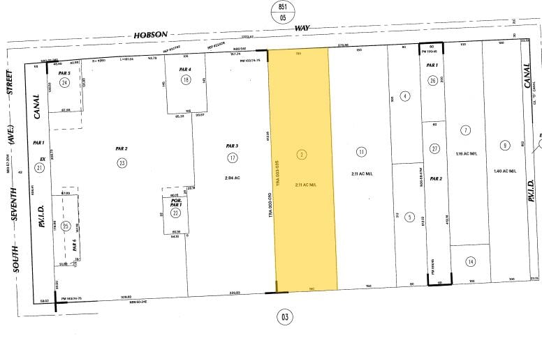
- Located on 2.11 acres with M1 zoning in Blythe, California.
- Positioned within an Opportunity Zone, offering potential tax benefits for qualifying investors.
- Mobile Home Park Includes 19 independently metered trailers that are rented as rooms.
- On-site amenities include a manager’s office with apartment, laundry facilities, and storage building.
- Convenient access to Interstate 10, connecting Southern California and Arizona.
Executive Summary
This hospitality investment opportunity features the Blue Line Motel and Trailer Park, located at 950 E Hobsonway in Blythe, California. The property is offered at $1,188,800 and includes a 24-room motel complemented by a 19-space mobile home park, all situated on a 2.11-acre parcel. The site also provides a manager’s office with an attached apartment, on-site laundry and washroom facilities, and a dedicated storage building.
Positioned along Hobsonway, Blythe’s main commercial corridor, the property benefits from strong visibility and convenient access to Interstate 10, a major route connecting Southern California to Arizona. The location serves both local residents and transient travelers, making it well-suited for hospitality and extended-stay operations.
The property is located within a designated Opportunity Zone, offering potential tax advantages for qualifying investors. With its combination of lodging and mobile home income streams, this asset presents a diversified revenue profile and long-term upside for buyers seeking stable cash flow and value-add potential.
Positioned along Hobsonway, Blythe’s main commercial corridor, the property benefits from strong visibility and convenient access to Interstate 10, a major route connecting Southern California to Arizona. The location serves both local residents and transient travelers, making it well-suited for hospitality and extended-stay operations.
The property is located within a designated Opportunity Zone, offering potential tax advantages for qualifying investors. With its combination of lodging and mobile home income streams, this asset presents a diversified revenue profile and long-term upside for buyers seeking stable cash flow and value-add potential.
Property Facts
| Price | $1,646,773 CAD | Building Size | 6,194 SF |
| Price Per Room | $86,672 CAD | No. Rooms | 19 |
| Sale Type | Investment | No. Stories | 1 |
| Property Type | Hospitality | Year Built | 1953 |
| Property Subtype | Hotel | Parking Ratio | 3.39/1,000 SF |
| Building Class | C | Corridor | Exterior |
| Lot Size | 2.11 AC | Opportunity Zone |
Yes
|
| Zoning | M1, Blythe - Limited Industrial | ||
| Price | $1,646,773 CAD |
| Price Per Room | $86,672 CAD |
| Sale Type | Investment |
| Property Type | Hospitality |
| Property Subtype | Hotel |
| Building Class | C |
| Lot Size | 2.11 AC |
| Building Size | 6,194 SF |
| No. Rooms | 19 |
| No. Stories | 1 |
| Year Built | 1953 |
| Parking Ratio | 3.39/1,000 SF |
| Corridor | Exterior |
| Opportunity Zone |
Yes |
| Zoning | M1, Blythe - Limited Industrial |
Amenities
- High Speed Internet Access
- Public Access Wifi
Room Mix Information
| Description | No. Rooms | Daily Rate | SF |
|---|---|---|---|
| Guest Room | 19 | $76.19 CAD | - |
1 1
Fairly walkable
40/100
Exceptionally drivable
100/100
Limited public transit
30/100
Fairly bikeable
40/100
Property Taxes
| Parcel Number | 854-020-002 | Improvements Assessment | $211,659 CAD |
| Land Assessment | $666,283 CAD | Total Assessment | $877,942 CAD |
Property Taxes
Parcel Number
854-020-002
Land Assessment
$666,283 CAD
Improvements Assessment
$211,659 CAD
Total Assessment
$877,942 CAD
1 of 4
Videos
Matterport 3D Exterior
Matterport 3D Tour
Photos
Street View
Street
Map
1 of 1
Presented by
Realty Pro Group
Blue Line Motel and Trailer Park | 950 E Hobsonway
Already a member? Log In
Hmm, there seems to have been an error sending your message. Please try again.
Thanks! Your message was sent.
