Log In/Sign Up
Your email has been sent.
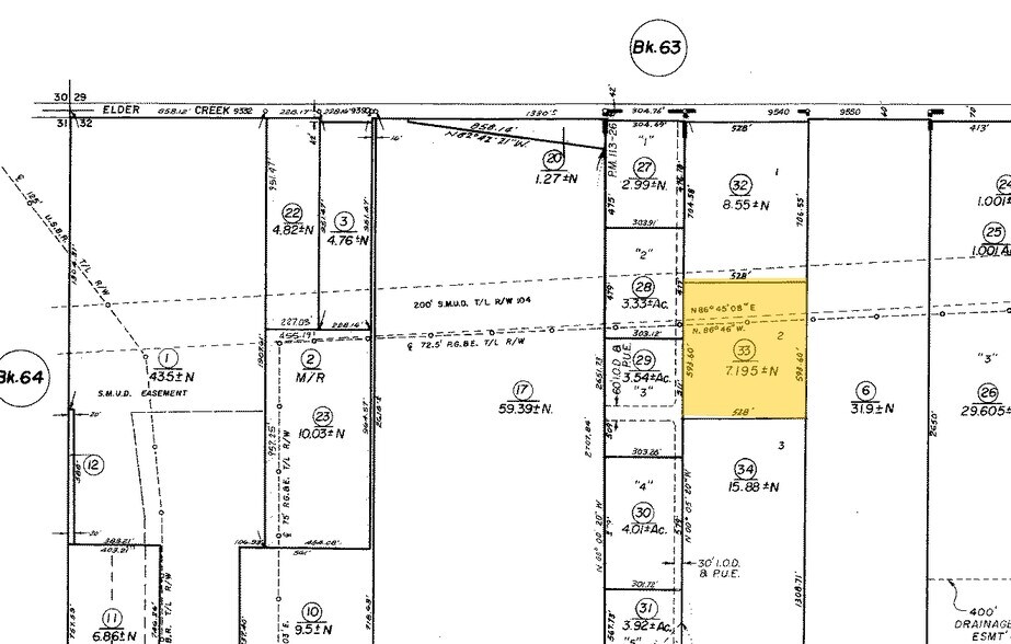
9540 Elder Creek Rd - Site For Single Tenant Industrial Building 7.19 Acres of Industrial Land Offered at $2,876,391 CAD in Sacramento, CA 95829


Executive Summary
" 9540 Elder Creek Rd: ±7.2 Acres
" Zoned M1 light industrial as per public records
" Easy access to Hwy 50 or Hwy 99
" Paved driveway access
" Communication lines and electrical stubbed to property
" Existing CC&R' s
" Fire suppression - 68,000 gal. storage tank w/ pump house
" 10hp and 3/4hp water well pumps
" Additional fill material on site for future pad
" Conceptual building and site plans available
Located adjacent to the new Carson Landscape
facility
" Zoned M1 light industrial as per public records
" Easy access to Hwy 50 or Hwy 99
" Paved driveway access
" Communication lines and electrical stubbed to property
" Existing CC&R' s
" Fire suppression - 68,000 gal. storage tank w/ pump house
" 10hp and 3/4hp water well pumps
" Additional fill material on site for future pad
" Conceptual building and site plans available
Located adjacent to the new Carson Landscape
facility
Property Facts
| Price | $2,876,391 CAD | Proposed Use | Industrial |
| Sale Type | Owner User | Total Lot Size | 7.20 AC |
| No. Lots | 1 | No. Stories | 1 |
| Property Type | Land | Tenancy | Single |
| Property Subtype | Industrial | Opportunity Zone |
Yes
|
| Zoning | M1 - Light Industrial | ||
| Price | $2,876,391 CAD |
| Sale Type | Owner User |
| No. Lots | 1 |
| Property Type | Land |
| Property Subtype | Industrial |
| Proposed Use | Industrial |
| Total Lot Size | 7.20 AC |
| No. Stories | 1 |
| Tenancy | Single |
| Opportunity Zone |
Yes |
| Zoning | M1 - Light Industrial |
1 Lot Available
Lot
| Price | $2,876,391 CAD | Lot Size | 7.20 AC |
| Price Per AC | $399,776.36 CAD |
| Price | $2,876,391 CAD |
| Price Per AC | $399,776.36 CAD |
| Lot Size | 7.20 AC |
Vacant Industrial parcel, level topo
1 1
Not walkable
10/100
Exceptionally drivable
100/100
Somewhat bikeable
20/100
Property Taxes
| Parcel Number | 066-0010-033 | Improvements Assessment | $0 CAD |
| Land Assessment | $771,713 CAD | Total Assessment | $771,713 CAD |
Property Taxes
Parcel Number
066-0010-033
Land Assessment
$771,713 CAD
Improvements Assessment
$0 CAD
Total Assessment
$771,713 CAD
1 of 3
Videos
Matterport 3D Exterior
Matterport 3D Tour
Photos
Street View
Street
Map
1 of 1
Presented by
9540 Elder Creek Rd - Site For Single Tenant Industrial Building
Already a member? Log In
Hmm, there seems to have been an error sending your message. Please try again.
Thanks! Your message was sent.
