Log In/Sign Up
Your email has been sent.
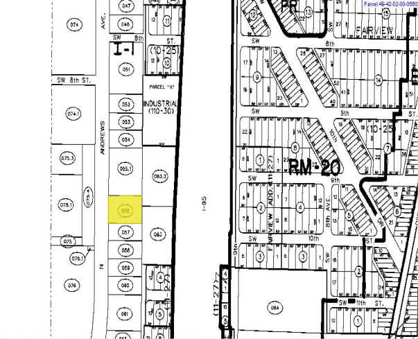
956 S Andrews Ave
Pompano Beach, FL 33069
Pompadour Products, Inc. · Industrial Property For Sale


Property Facts
| Sale Type | Investment | Rentable Building Area | 13,286 SF |
| Property Type | Industrial | No. Stories | 1 |
| Property Subtype | Manufacturing | Year Built/Renovated | 1969/1970 |
| Building Class | C | Parking Ratio | 1.05/1,000 SF |
| Lot Size | 0.85 AC | Clear Ceiling Height | 16’ |
| Zoning | I-1 - LIGHT INDUSTRIAL | ||
| Sale Type | Investment |
| Property Type | Industrial |
| Property Subtype | Manufacturing |
| Building Class | C |
| Lot Size | 0.85 AC |
| Rentable Building Area | 13,286 SF |
| No. Stories | 1 |
| Year Built/Renovated | 1969/1970 |
| Parking Ratio | 1.05/1,000 SF |
| Clear Ceiling Height | 16’ |
| Zoning | I-1 - LIGHT INDUSTRIAL |
Property Taxes
| Parcel Number | 49-42-02-00-0560 | Improvements Assessment | $2,914,872 CAD |
| Land Assessment | $408,552 CAD | Total Assessment | $3,323,424 CAD |
Property Taxes
Parcel Number
49-42-02-00-0560
Land Assessment
$408,552 CAD
Improvements Assessment
$2,914,872 CAD
Total Assessment
$3,323,424 CAD
1 of 13
Videos
Matterport 3D Exterior
Matterport 3D Tour
Photos
Street View
Street
Map
