Log In/Sign Up
Your email has been sent.
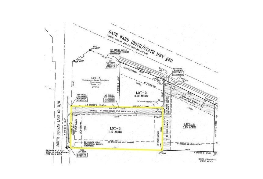
970 Dave Ward Dr - Germantown Corner - Lot 3 1.17 Acres of Commercial Land Offered at $537,225 CAD in Conway, AR 72034



Investment Highlights
- Central location on Dave Ward Drive
- Light Protected Intersection
- Easy Accessible from South German Lane & Dave Ward Drive
- Adjacent to Taco Bueno, Krispy Kreme, and Hardees
Executive Summary
Can Be Subdivided
Property Facts
| Price | $537,225 CAD | Property Subtype | Commercial |
| Sale Type | Investment | Proposed Use | |
| No. Lots | 1 | Total Lot Size | 1.17 AC |
| Property Type | Land | ||
| Zoning | C-3 - C-3 | ||
| Price | $537,225 CAD |
| Sale Type | Investment |
| No. Lots | 1 |
| Property Type | Land |
| Property Subtype | Commercial |
| Proposed Use | |
| Total Lot Size | 1.17 AC |
| Zoning | C-3 - C-3 |
1 Lot Available
Lot 3
| Price | $537,225 CAD | Lot Size | 1.17 AC |
| Price Per AC | $459,166.69 CAD |
| Price | $537,225 CAD |
| Price Per AC | $459,166.69 CAD |
| Lot Size | 1.17 AC |
Growing residential and commercial area. Ideal for retail, restaurant or office developments.
Description
This 1.17 is easy accessible from Dave Ward Drive via a signaled intersection in a highly visible development that includes Taco Bueno, Krispy Kreme, and Hardees. Lot can be split. Central location on Dave Ward Drive. Easy Accessible from South German Lane & Dave Ward Drive. Light Protected Intersection. Adjacent to Taco Bueno, Krispy Kreme, and Hardees.
Somewhat walkable
30/100
Exceptionally drivable
100/100
Somewhat bikeable
30/100
Property Taxes
| Parcel Number | 710-08533-103 | Improvements Assessment | $0 CAD |
| Land Assessment | $70,753 CAD | Total Assessment | $70,753 CAD |
Property Taxes
Parcel Number
710-08533-103
Land Assessment
$70,753 CAD
Improvements Assessment
$0 CAD
Total Assessment
$70,753 CAD
1 of 5
Videos
Matterport 3D Exterior
Matterport 3D Tour
Photos
Street View
Street
Map
Presented by
970 Dave Ward Dr - Germantown Corner - Lot 3
Already a member? Log In
Hmm, there seems to have been an error sending your message. Please try again.
Thanks! Your message was sent.

