Log In/Sign Up
Your email has been sent.
9745 Silver Lake Dr
Leesburg, FL 34788
Retail Property For Lease
·
7,000 SF


HIGHLIGHTS
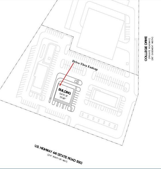
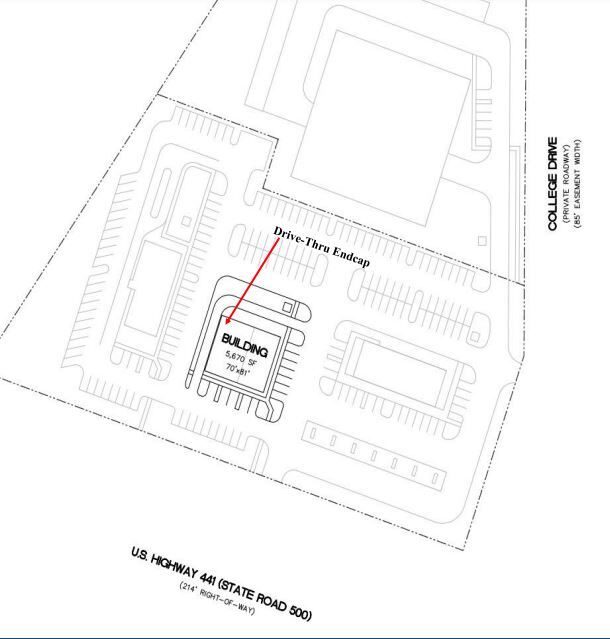
- Main Thoroughfare
- Possible Drive-thru endcap
- Signalized Intersection
PROPERTY FACTS
| Total Space Available | 7,000 SF | Gross Leasable Area | 7,000 SF |
| Min. Divisible | 1,400 SF | Year Built | 2026 |
| Property Type | Retail | Construction Status | Proposed |
| Total Space Available | 7,000 SF |
| Min. Divisible | 1,400 SF |
| Property Type | Retail |
| Gross Leasable Area | 7,000 SF |
| Year Built | 2026 |
| Construction Status | Proposed |
ABOUT THE PROPERTY
Fronts Highway 441, at the intersection of US 441 & College Drive
1 of 4
VIDEOS
MATTERPORT 3D EXTERIOR
MATTERPORT 3D TOUR
PHOTOS
STREET VIEW
STREET
MAP
