Log In/Sign Up
Your email has been sent.
9779 Clovis Rd
Phelan, CA 92371
Land For Sale
·
2.83 AC


Investment Highlights
- Located near Serrano High School, existing restaurants and retail centers
- Zoning: Phelan/Pinon Hills/General Commercial
- In The Heart Of Downtown Phelan
- Two Contiguous Parcels totaling ±2.83 Acres
Executive Summary
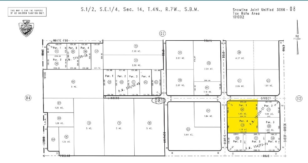
This offering includes two contiguous parcels—APN 3066-081-26 (±1.45 acres) and APN 3066-081-29 (±1.38 acres)—totaling approximately 2.83 acres. Zoned for General Commercial within the Phelan/Pinon Hills area, the property is centrally located in the heart of downtown Phelan. It presents an excellent opportunity in a growing community, positioned near Serrano High School as well as existing restaurants and retail centers. Phelan is an unincorporated community in the Victor Valley region of the Mojave Desert, within San Bernardino County, California. As of 2024, the population of Phelan is approximately 14,279, with a median household income of $87,766. The community is situated about 16 miles from Hesperia, 20 miles from Victorville, 41 miles from Palmdale, and 50 miles from Lancaster
Property Facts
| Sale Type | Investment | Property Subtype | Commercial |
| No. Lots | 1 | Proposed Use | Commercial |
| Property Type | Land | Total Lot Size | 2.83 AC |
| Zoning | GC - General Commercial | ||
| Sale Type | Investment |
| No. Lots | 1 |
| Property Type | Land |
| Property Subtype | Commercial |
| Proposed Use | Commercial |
| Total Lot Size | 2.83 AC |
| Zoning | GC - General Commercial |
1 Lot Available
Lot
| Price | $295,048 CAD | Lot Size | 2.83 AC |
| Price Per AC | $104,257.32 CAD |
| Price | $295,048 CAD |
| Price Per AC | $104,257.32 CAD |
| Lot Size | 2.83 AC |
Two Contiguous Parcels totaling ±2.83 Acres
Property Taxes
| Parcel Numbers | Improvements Assessment | $0 CAD | |
| Land Assessment | $230,465 CAD | Total Assessment | $230,465 CAD |
Property Taxes
Parcel Numbers
Land Assessment
$230,465 CAD
Improvements Assessment
$0 CAD
Total Assessment
$230,465 CAD
1 of 3
Videos
Matterport 3D Exterior
Matterport 3D Tour
Photos
Street View
Street
Map
