Log In/Sign Up
Your email has been sent.
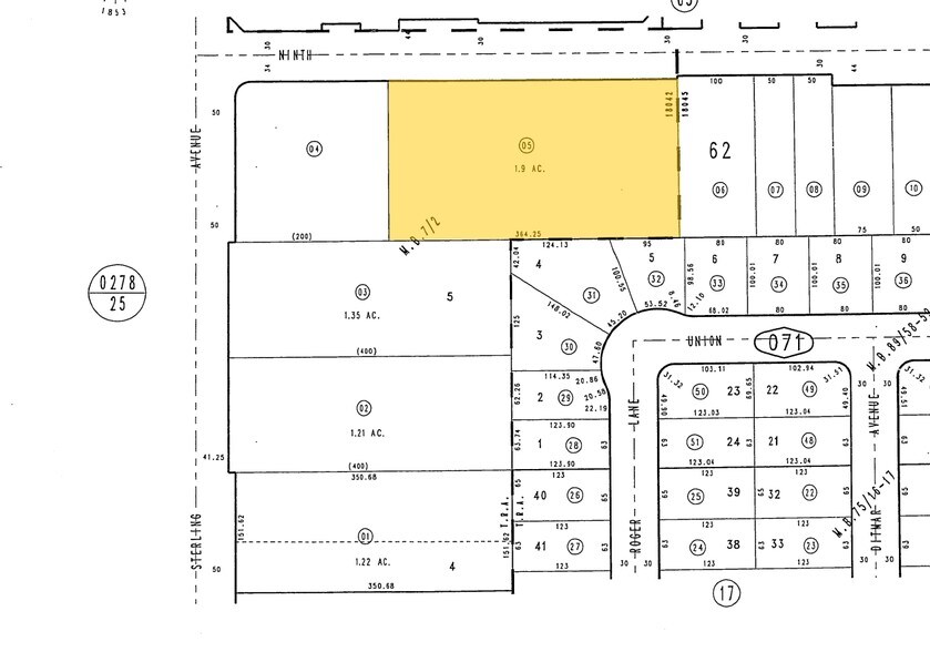
9th St & Sterling Ave
San Bernardino, CA 92410
Land For Sale
·
1.62 AC


Investment Highlights
- Excellent Frontage
- Some Office Uses
- Convalescent Homes
- Various Retail Uses
- Car Wash – Full and Self Service
- Child Care Facilities
Executive Summary
NAI Capital is pleased to offer for sale a prime 1.62-acre commercial lot located 9th St., Highland, CA 92346.
Property Facts
| Sale Type | Investment | Proposed Use | |
| No. Lots | 1 | Total Lot Size | 1.62 AC |
| Property Type | Land | Opportunity Zone |
Yes
|
| Property Subtype | Commercial | ||
| Zoning | NC - Neighborhood Commercial | ||
| Sale Type | Investment |
| No. Lots | 1 |
| Property Type | Land |
| Property Subtype | Commercial |
| Proposed Use | |
| Total Lot Size | 1.62 AC |
| Opportunity Zone |
Yes |
| Zoning | NC - Neighborhood Commercial |
1 Lot Available
Lot
| Price | $2,400,965 CAD | Lot Size | 1.62 AC |
| Price Per AC | $1,481,711.15 CAD |
| Price | $2,400,965 CAD |
| Price Per AC | $1,481,711.15 CAD |
| Lot Size | 1.62 AC |
Located in Opportunity Zone area. The property has highly accessible lot is strategically located next to the tire store on Sterling Ave and 9th St. Excellent frontage
Description
Prime 1.62-Acre (70,583sf) Commercial Lot for Sale in San Bernardino, CA
Property Taxes
| Parcel Number | 1192-071-05 | Improvements Assessment | $0 CAD |
| Land Assessment | $543,829 CAD | Total Assessment | $543,829 CAD |
Property Taxes
Parcel Number
1192-071-05
Land Assessment
$543,829 CAD
Improvements Assessment
$0 CAD
Total Assessment
$543,829 CAD
1 of 3
Videos
Matterport 3D Exterior
Matterport 3D Tour
Photos
Street View
Street
Map
