Log In/Sign Up
Your email has been sent.
Investment Highlights
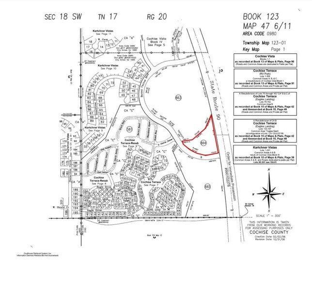
- Great location with frontage on Highway 90.
Property Facts
| Price | $998,688 CAD | Property Type | Land |
| Sale Type | Investment | Property Subtype | Commercial |
| No. Lots | 1 | Total Lot Size | 4.16 AC |
| Zoning | B-2 - B-2, City of Benson | ||
| Price | $998,688 CAD |
| Sale Type | Investment |
| No. Lots | 1 |
| Property Type | Land |
| Property Subtype | Commercial |
| Total Lot Size | 4.16 AC |
| Zoning | B-2 - B-2, City of Benson |
1 Lot Available
Lot
| Price | $998,688 CAD | Lot Size | 4.16 AC |
| Price Per AC | $240,069.12 CAD |
| Price | $998,688 CAD |
| Price Per AC | $240,069.12 CAD |
| Lot Size | 4.16 AC |
Description
Utilities Description: Water: 8” main stubbed out at the property. (City of Benson) Sewer: 12” main stubbed out at property line. (City of Benson) Electricity: 25 KV overhead power on the east side of property line. (Sulfur Springs Valley Electric Coop) Gas: Southwest Gas will provide a 2” gas main to property line. Current gas main is to the adjoining property. Telephone: Century Link service exists adjoining east of property.
1 1
Not walkable
10/100
Exceptionally drivable
90/100
Somewhat bikeable
20/100
Property Taxes
| Parcel Number | 123-47-664 | Improvements Assessment | $0 CAD |
| Land Assessment | $17,798 CAD | Total Assessment | $17,798 CAD |
Property Taxes
Parcel Number
123-47-664
Land Assessment
$17,798 CAD
Improvements Assessment
$0 CAD
Total Assessment
$17,798 CAD
1 of 4
Videos
Matterport 3D Exterior
Matterport 3D Tour
Photos
Street View
Street
Map
1 of 1
Presented by
AZ HWY 90
Already a member? Log In
Hmm, there seems to have been an error sending your message. Please try again.
Thanks! Your message was sent.



