Your email has been sent.
Alcala, Osuna, Área de, 1 3.63 Acres of Commercial Land for Lease in Osuna, Sevilla 41640



Some information has been automatically translated.
LOT Available
Display Rental Rate as
| Rental Rate |
|
Lot Size | 3.63 AC |
| Lease Term | Negotiable |
| Rental Rate | |
| Lease Term | Negotiable |
| Lot Size | 3.63 AC |
Property Overview
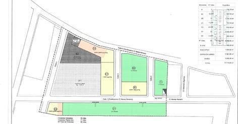
Según la última información disponible, la. parcela se encuentra incluida en las Normas. Subsidiarias de Osuna, con adaptación. parcial a la LOUA aprobada definitivamente el. 06/11/2009. Respecto a la gestión. urbanística, se desarrolla mediante iniciativa. privada por compensación. Se permite construir dos plantas sobre. rasante, o 7,50 m de altura... Dentro de la finca valorada existen 1.000 m2. de suelo urbano industrial. Dicha parcela es. atravesada por un vial de nueva formación. dando como resultado dos subparcelas de. 367,50 m2 y 302,00 m2. Según edificabilidad. se pueden construir 602,55 m² de uso. industrial
Property Facts
| Total Space Available | 3.63 AC | Property Subtype | Commercial |
| Property Type | Land |
| Total Space Available | 3.63 AC |
| Property Type | Land |
| Property Subtype | Commercial |
Presented by
Alcala, Osuna, Área de, 1
Hmm, there seems to have been an error sending your message. Please try again.
Thanks! Your message was sent.
