Log In/Sign Up
Your email has been sent.
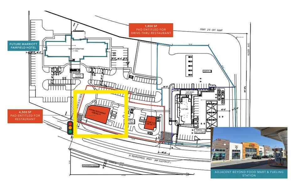
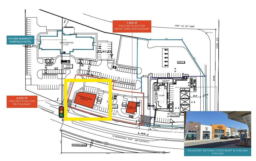
Alder Ave & W Renaissance Pkwy Ave
Rialto, CA 92377
Pad 1 · Land For Lease


Property Facts
| Total Space Available | 0.10 AC | Property Subtype | Commercial |
| Property Type | Land |
| Total Space Available | 0.10 AC |
| Property Type | Land |
| Property Subtype | Commercial |
1 of 4
Videos
Matterport 3D Exterior
Matterport 3D Tour
Photos
Street View
Street
Map
