Log In/Sign Up
Your email has been sent.
Executive Summary
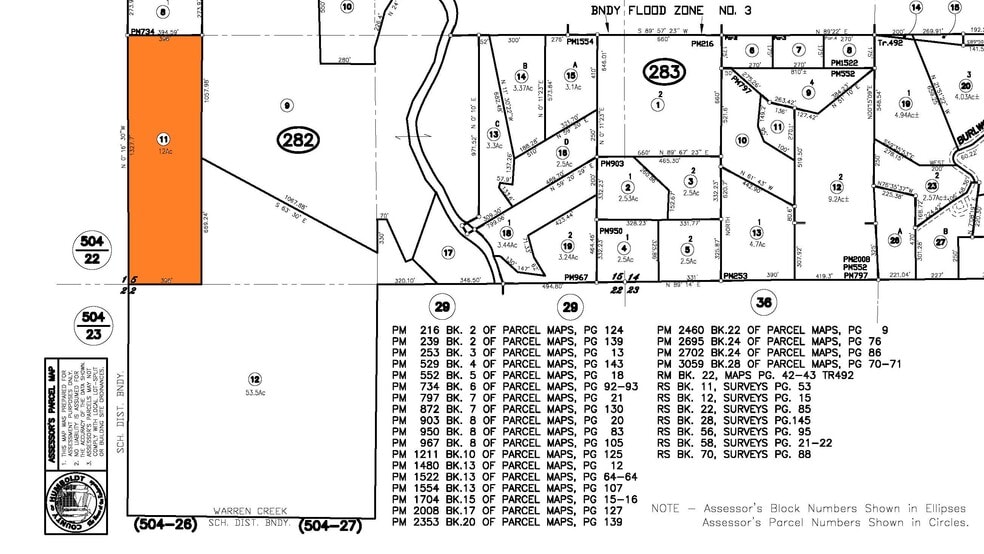
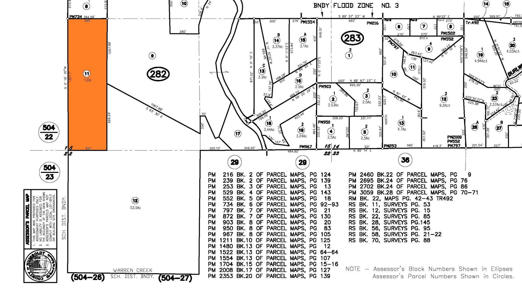
Discover 12 acres of opportunity in the heart of Arcata, CA, zoned for general agriculture and timber uses. Located just minutes from downtown Arcata, the property combines rural tranquility with convenient access to shops, schools, and local amenities. The AG/T zoning allows for a wide range of uses, including orchards, gardens, livestock, and forestry operations. With fertile soil, a mild coastal climate, and potential for utility access, this land presents a rare chance to create your agricultural vision in one of Humboldt County’s most desirable and ecologically rich regions.
Property Facts
| Price | $526,961 CAD | Property Type | Land |
| Sale Type | Investment or Owner User | Property Subtype | Agricultural |
| No. Lots | 1 | Total Lot Size | 12.00 AC |
| Zoning | T/TPZ - Timberland | ||
| Price | $526,961 CAD |
| Sale Type | Investment or Owner User |
| No. Lots | 1 |
| Property Type | Land |
| Property Subtype | Agricultural |
| Total Lot Size | 12.00 AC |
| Zoning | T/TPZ - Timberland |
1 Lot Available
Lot
| Price | $526,961 CAD | Lot Size | 12.00 AC |
| Price Per AC | $43,913.42 CAD |
| Price | $526,961 CAD |
| Price Per AC | $43,913.42 CAD |
| Lot Size | 12.00 AC |
12 acres of T/TPZ land in Arcata
1 1
Property Taxes
| Parcel Number | 516-282-011-000 | Improvements Assessment | $0 CAD |
| Land Assessment | $2,865 CAD | Total Assessment | $2,865 CAD |
Property Taxes
Parcel Number
516-282-011-000
Land Assessment
$2,865 CAD
Improvements Assessment
$0 CAD
Total Assessment
$2,865 CAD
1 of 2
Videos
Matterport 3D Exterior
Matterport 3D Tour
Photos
Street View
Street
Map
1 of 1
Presented by
Aldergrove Rd
Already a member? Log In
Hmm, there seems to have been an error sending your message. Please try again.
Thanks! Your message was sent.

