Log In/Sign Up
Your email has been sent.
All or part. +/- 9,000 new jobs coming 2 Land Properties in Barstow, CA



INVESTMENT HIGHLIGHTS
- 2100' of freeway frontage at highly performing intersection with some of the highest performing restaurants.
- 446 acres of residential-zoned land with sewer and utilities.
EXECUTIVE SUMMARY
Offered by the largest private landowner in Barstow! BNSF Railway is investing $1.5 Billion into Barstow that will add 8,000 jobs over the next ten years and the Chemehuevi Indian Tribe is expecting approval of their proposed casino/hotel. that would add 1,000 construction jobs and 1,000 permanent jobs. There is already a housing shortage in Barstow and these projects will greatly increase the need for thousands of new homes and commercial development. This is a two-part portfolio, and you can be the proud owner of all or part of it:
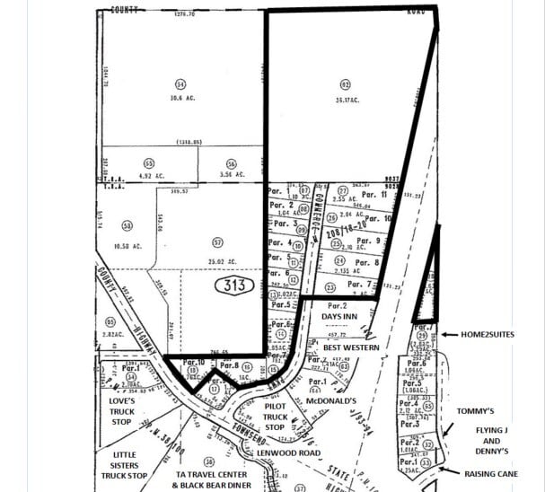
Part One is the retail/commercial zoned property that has over 2100' of freeway frontage at one of the highest performing retail freeway intersections in the U.S. per square foot.
Hotel occupancy is over 90%. Some of the highest producing restaurants in their chains: Del Taco and Oggi's are #1, and others in the top 3-5% include In-N-Out Burger, Denny's and Pilot Truck Stop.
PART ONE has 22 prime commercial parcels with over 2100' of freeway frontage - contact agent regarding current availability of each individual parcel.
PART TWO is 446.16 acres and is the largest undivided pieces of residential/commercial land within the city limits, which is located at Mayor Katy Parkway and Muriel Drive in the best residential section of Barstow.
Attached are the following: 1. A brochure of the Lenwood Road retail property, and 2. A separate brochure of the 446 acres at Mayor Katy Parkway in the event you are interested in only one aspect of the portfolio. *Contact the agent if you would like a single brochure of the entire portfolio.*
Part One is the retail/commercial zoned property that has over 2100' of freeway frontage at one of the highest performing retail freeway intersections in the U.S. per square foot.
Hotel occupancy is over 90%. Some of the highest producing restaurants in their chains: Del Taco and Oggi's are #1, and others in the top 3-5% include In-N-Out Burger, Denny's and Pilot Truck Stop.
PART ONE has 22 prime commercial parcels with over 2100' of freeway frontage - contact agent regarding current availability of each individual parcel.
PART TWO is 446.16 acres and is the largest undivided pieces of residential/commercial land within the city limits, which is located at Mayor Katy Parkway and Muriel Drive in the best residential section of Barstow.
Attached are the following: 1. A brochure of the Lenwood Road retail property, and 2. A separate brochure of the 446 acres at Mayor Katy Parkway in the event you are interested in only one aspect of the portfolio. *Contact the agent if you would like a single brochure of the entire portfolio.*
PROPERTY FACTS
| Sale Type | Investment | Individually For Sale | 2 |
| Status | Active | Total Land Area | 547.89 AC |
| Number of Properties | 2 |
| Sale Type | Investment |
| Status | Active |
| Number of Properties | 2 |
| Individually For Sale | 2 |
| Total Land Area | 547.89 AC |
PROPERTIES
| PROPERTY NAME / ADDRESS | PROPERTY TYPE | SIZE | INDIVIDUAL PRICE |
|---|---|---|---|
|
+/- 446 acres for master planned community
Mayor Katy & Muriel Pky, Barstow, CA 92311 |
Land | 446.16 AC | - |
|
22 lots. All or part. Large freeway frontage
Lenwood I-15 Interchange, Barstow, CA 92311 |
Land | 101.73 AC | $103,968,154 CAD |
1 1
1 of 25
VIDEOS
MATTERPORT 3D EXTERIOR
MATTERPORT 3D TOUR
PHOTOS
STREET VIEW
STREET
MAP
1 of 1
Presented by
Johnson Real Estate Group, Inc.
All or part. +/- 9,000 new jobs coming
Already a member? Log In
Hmm, there seems to have been an error sending your message. Please try again.
Thanks! Your message was sent.
