Log In/Sign Up
Your email has been sent.
Ave C And 97th St W - Blum Ranch 10 Acres of Agricultural Land Offered at $240,595 CAD in Lancaster, CA 93536



Investment Highlights
- Development Opportunities
- Great Investment Or For Business Growth
- Utility Hookups
Executive Summary
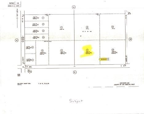
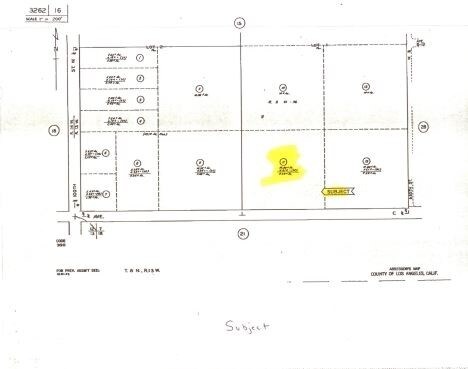
* This 10+/- Acs. parcel is 'FOR SALE' or 'FOR LEASE' and is conveniently located in the Antelope Valley region, within reach of major solar and energy projects, and accessible via main roads leading to Lancaster proper. The parcel is unobstructed, flat, organic, and fronts Ave. C & 97 St. West in Lancaster, CA 93536. [APN 3262-016-011]. Enjoy panoramic desert views. Electrical and water access are available to the property. [Owner since 1985].
* Additionally available are 120+ Acs. with annual perpetuity Water Rights 'FOR SALE' or 'FOR LEASE' fronting Ave. J & 70th-75th St. East [APN 3384-009-001 = 80+ Acs. & 3384-009-006 = 40+ Acs. The west border of the property is adjacent to neighbor Campbell Fresh's farming operations. [aka Campbell Soup Co.]. [Owner Since 1985].
* Additionally available are 20+/- Acs. 'FOR SALE' or 'FOR LEASE' fronting Ave. J & 77th-80th St. East. [APN 3384-020-012 = 10+/- Acs. & 3384-020-013 = 10+/- Acs.]. The parcel is 1/4 mile east of the above-described 120 + Acs. on Ave. J, and would serve as a strategic combination. [Owner Since 1985].
* Additionally available are 120+ Acs. with annual perpetuity Water Rights 'FOR SALE' or 'FOR LEASE' fronting Ave. J & 70th-75th St. East [APN 3384-009-001 = 80+ Acs. & 3384-009-006 = 40+ Acs. The west border of the property is adjacent to neighbor Campbell Fresh's farming operations. [aka Campbell Soup Co.]. [Owner Since 1985].
* Additionally available are 20+/- Acs. 'FOR SALE' or 'FOR LEASE' fronting Ave. J & 77th-80th St. East. [APN 3384-020-012 = 10+/- Acs. & 3384-020-013 = 10+/- Acs.]. The parcel is 1/4 mile east of the above-described 120 + Acs. on Ave. J, and would serve as a strategic combination. [Owner Since 1985].
Property Facts
1 Lot Available
Lot
| Price | $240,595 CAD | Lot Size | 10.00 AC |
| Price Per AC | $24,059.53 CAD |
| Price | $240,595 CAD |
| Price Per AC | $24,059.53 CAD |
| Lot Size | 10.00 AC |
The 10+/- Ac., parcel is 'FOR SALE' or 'FOR LEASE' and is unobstructed, flat, organic and fronts Ave. C & 97 St. West in Lancaster, CA 93536. [APN 3262-016-011]. Electrical and water access are available to the property. [Owner Since 1985].
Exceptionally drivable
90/100
Somewhat bikeable
30/100
Property Taxes
| Parcel Number | 3262-016-011 | Improvements Assessment | $0 CAD |
| Land Assessment | $61,540 CAD | Total Assessment | $61,540 CAD |
Property Taxes
Parcel Number
3262-016-011
Land Assessment
$61,540 CAD
Improvements Assessment
$0 CAD
Total Assessment
$61,540 CAD
1 of 6
Videos
Matterport 3D Exterior
Matterport 3D Tour
Photos
Street View
Street
Map
Presented by
Sheldon Blum
Ave C And 97th St W - Blum Ranch
Already a member? Log In
Hmm, there seems to have been an error sending your message. Please try again.
Thanks! Your message was sent.

