Log In/Sign Up
Your email has been sent.
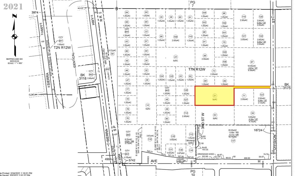
Ave G-12 near Division St - Residential Land 5 Acres of Industrial Land Offered at $270,057 CAD in Lancaster, CA 93535


INVESTMENT HIGHLIGHTS
- Heavy Industrial zoning
- Growing Industrial area
- Just minutes from AV Freeway via the Avenue H overpass
EXECUTIVE SUMMARY
Great industrial investment opportunity! Good level property with deeded access out to Division St. along future Ave G-12! The Heavy Industrial zoning is the most versatile industrial zoning in the City of Lancaster, allowing the widest mixture of industrial uses! This property is strategically situated just minutes from the AV Freeway via the Avenue H overpass in a growing Industrial area. Nearby neighbors include BYD’s 556,000sf electric bus manufacturing facility, one of the largest in North America, an extensive CAT Construction Equipment Dealership and a variety of other facilities.
PROPERTY FACTS
| Price | $270,057 CAD | Property Subtype | Industrial |
| Sale Type | Investment | Proposed Use | Industrial |
| No. Lots | 1 | Total Lot Size | 5.00 AC |
| Property Type | Land | ||
| Zoning | HI - Heavy Industrial | ||
| Price | $270,057 CAD |
| Sale Type | Investment |
| No. Lots | 1 |
| Property Type | Land |
| Property Subtype | Industrial |
| Proposed Use | Industrial |
| Total Lot Size | 5.00 AC |
| Zoning | HI - Heavy Industrial |
1 LOT AVAILABLE
Lot
| Price | $270,057 CAD | Lot Size | 5.00 AC |
| Price Per AC | $54,011.49 CAD |
| Price | $270,057 CAD |
| Price Per AC | $54,011.49 CAD |
| Lot Size | 5.00 AC |
The property is zoned Heavy Industrial and located on the future street of Avenue G-12 near Division St in the city of Lancaster, CA with deeded access along G-12 out to Division St.!
PROPERTY TAXES
| Parcel Number | 3137-008-051 | Improvements Assessment | $0 CAD |
| Land Assessment | $93,424 CAD | Total Assessment | $93,424 CAD |
PROPERTY TAXES
Parcel Number
3137-008-051
Land Assessment
$93,424 CAD
Improvements Assessment
$0 CAD
Total Assessment
$93,424 CAD
1 of 3
VIDEOS
MATTERPORT 3D EXTERIOR
MATTERPORT 3D TOUR
PHOTOS
STREET VIEW
STREET
MAP
Presented by
Ave G-12 near Division St - Residential Land
Already a member? Log In
Hmm, there seems to have been an error sending your message. Please try again.
Thanks! Your message was sent.

