Log In/Sign Up
Your email has been sent.
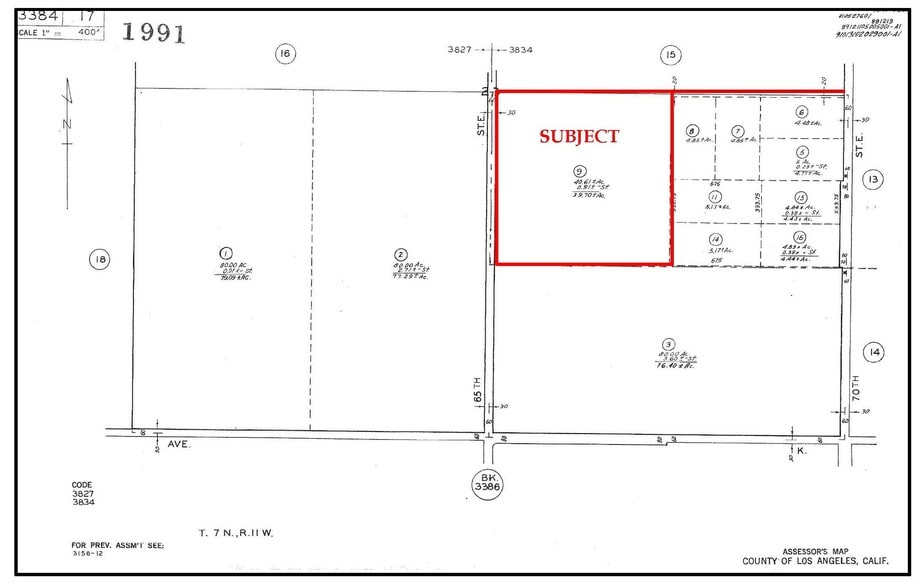
Avenue J-8 - Lancaster | 40 Acre Income Investment 40 Acres of Residential Land Offered at $1,097,107 CAD in Lancaster, CA 93535



Investment Highlights
- Income Producing Investment!
- 2026 Income is $41,915+/-
Executive Summary
Renewable lease provides $41,915± in annual income with 2.25% yearly payment increases! Asking $799,000!
Property Facts
| Price | $1,097,107 CAD | Proposed Use | Hold For Investment |
| Sale Type | Investment | Total Lot Size | 10.06 AC |
| No. Lots | 1 | Cross Streets | 65th Street E |
| Property Type | Land | Opportunity Zone |
Yes
|
| Property Subtype | Residential | ||
| Zoning | RR-2.5 - Rural Residential 1 unit/2.5 acres | ||
| Price | $1,097,107 CAD |
| Sale Type | Investment |
| No. Lots | 1 |
| Property Type | Land |
| Property Subtype | Residential |
| Proposed Use | Hold For Investment |
| Total Lot Size | 10.06 AC |
| Cross Streets | 65th Street E |
| Opportunity Zone |
Yes |
| Zoning | RR-2.5 - Rural Residential 1 unit/2.5 acres |
1 Lot Available
Lot
| Price | $1,097,107 CAD | Lot Size | 40.00 AC |
| Price Per AC | $27,427.67 CAD |
| Price | $1,097,107 CAD |
| Price Per AC | $27,427.67 CAD |
| Lot Size | 40.00 AC |
SEC of Avenue J-8 and 65th Street E, north of Avenue K, east of 70th Street E in the City of Lancaster. Site is part of the Lancaster Clean Energy Center, a planned renewable hydrogen facility.
Description
SEC of Avenue J-8 and 65th Street E, north of Avenue K, east of 70th Street E in the City of Lancaster. Site is part of the Lancaster Clean Energy Center, a planned renewable hydrogen facility. Renewable lease provides $41,915± in annual income with 2.25% yearly payment increases! Asking $799,000!
1 1
Fairly walkable
40/100
Very drivable
80/100
Minimal public transit
10/100
Fairly bikeable
40/100
Property Taxes
| Parcel Number | 3140-009-032 | Improvements Assessment | $0 CAD |
| Land Assessment | $108,963 CAD | Total Assessment | $108,963 CAD |
Property Taxes
Parcel Number
3140-009-032
Land Assessment
$108,963 CAD
Improvements Assessment
$0 CAD
Total Assessment
$108,963 CAD
1 of 4
Videos
Matterport 3D Exterior
Matterport 3D Tour
Photos
Street View
Street
Map
1 of 1
Presented by
Avenue J-8 - Lancaster | 40 Acre Income Investment
Already a member? Log In
Hmm, there seems to have been an error sending your message. Please try again.
Thanks! Your message was sent.
