Your email has been sent.
Belle Dr
Hammond, LA 70403
Land For Sale
·
25.12 AC

Investment Highlights
- Neighboring lots are starting to have new construction for retail use.
- Clos proximity to a mall and health center.
Property Facts
5 Lots Available
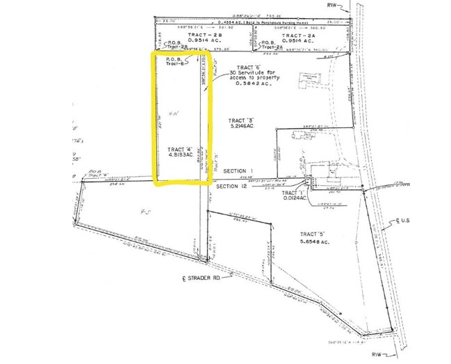
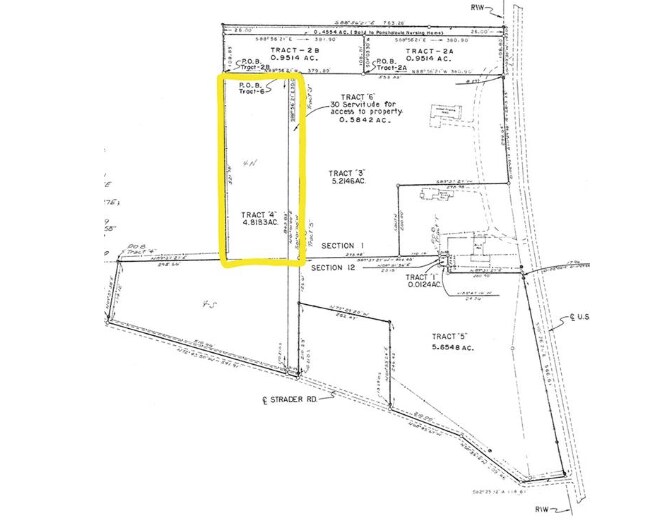
Lot Tract 6
| Price | $272,712 CAD | Lot Size | 2.43 AC |
| Price Per AC | $112,226.99 CAD |
| Price | $272,712 CAD |
| Price Per AC | $112,226.99 CAD |
| Lot Size | 2.43 AC |
PROPERTY IS BEHIND LOT THAT IS LISTED ON BELLE DRIVE, IT CAN BE SOLD WITH BELLE DRIVE OR PROPERTY LISTED ON VETERANS. THERE ARE 2 OPTIONS TO PURCHASE THIS PROPERTY, EITHER WILL THE BELLE DRIVE LOT OR THE VETERANS 5. 21 ACRES OR PURCHASE ALL 3 PARCELS
Lot Tract 2B
| Price | $272,848 CAD | Lot Size | 0.95 AC |
| Price Per AC | $287,208.43 CAD |
| Price | $272,848 CAD |
| Price Per AC | $287,208.43 CAD |
| Lot Size | 0.95 AC |
GREAT LOT ON BELLE DRIVE JUST PAST NORTH OAKS MEDICAL CENTER. PROPERTY IS IN GREAT LOCATION FOR OFFICE COULD BE DEVELOPED WITH THE ADDITIONAL LAND THAT ADJOINS THIS PROPERTY. THERE ARE SEVERAL PARCELS THAT ADJOIN. IMMEDIATELY THERE IS 2.43 ACRES
Lot Tract 3, 5
| Price | $2,262,828 CAD | Lot Size | 10.87 AC |
| Price Per AC | $208,171.86 CAD |
| Price | $2,262,828 CAD |
| Price Per AC | $208,171.86 CAD |
| Lot Size | 10.87 AC |
2 TRACTS TOTALLING 10.87 ACRES WITH A LARGE FRONTAGE ALONG VETERANS AVE AND FRONTAGE ON STRADER ROAD. ADDITIONAL ADJOINING ACREAGE AVAILABLE- 2.14 ACRES TRACT 4 ON SURVEY AND .95 ACRE (BELLE DRIVE) TRACT 2B ON SURVEY
Lot Tract 3
| Price | $1,084,594 CAD | Lot Size | 5.22 AC |
| Price Per AC | $207,776.63 CAD |
| Price | $1,084,594 CAD |
| Price Per AC | $207,776.63 CAD |
| Lot Size | 5.22 AC |
"L" SHAPED PARCEL THAT ADJOINS ANOTHER 5.66 ACRE TRACT ALONG VETERANS. ADDITIONAL LAND AVAILABLE, TRACT 5(5.66 ACRES),TRACT 2B (.95 ACRES ON BELLE DRIVE) AND TRACT 4 (2.14 ACRES) ALSO 2 PARCELS ADJOINING TRACTS 3 AND 5 ON VETERANS
Lot Tract 5
| Price | $1,174,993 CAD | Lot Size | 5.65 AC |
| Price Per AC | $207,963.30 CAD |
| Price | $1,174,993 CAD |
| Price Per AC | $207,963.30 CAD |
| Lot Size | 5.65 AC |
LARGE FRONTAGE ALONG VETERANS AVE AND FRONTAGE ON STRADER ROAD. ADDITIONAL ADJOINING ACREAGE AVAILABLE- 2.14 ACRES TRACT 4 ON SURVEY AND .95 ACRE (BELLE DRIVE) TRACT 2B ON SURVEY
Description
Neighboring lots are starting to have new construction for retail use.
