Log In/Sign Up
Your email has been sent.
Belt Line - Vacant Land 1.44 - 4.85 Acre Commercial Land Lots Offered at $1,125,498 - $2,046,360 CAD Per Lot in Sunnyvale, TX 75182

Investment Highlights
- Prime Retail Corner at NEC of Belt Line & Tripp Road
- Several New Residential Subdivisions Within 1 Mile of Site
- Traffic Count Belt Line Road: 35,000
- All Utilities To Site
Executive Summary
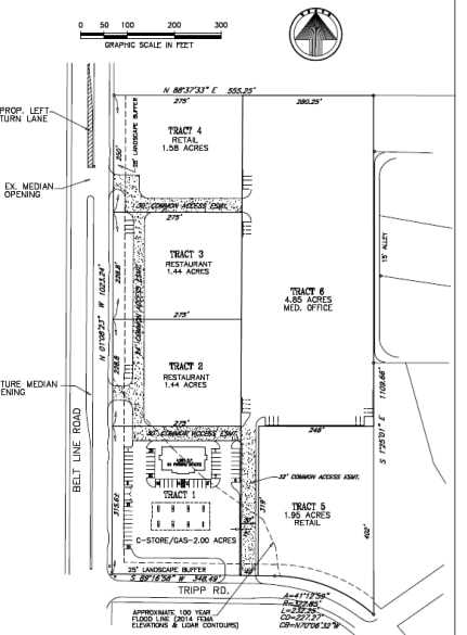
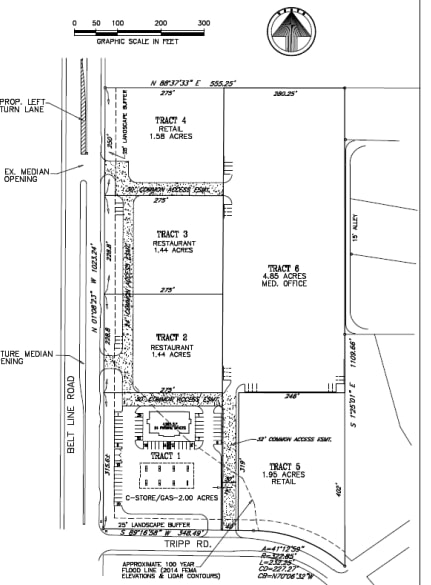
The 13 acre site is zoned for local retail. The subject tract has 1,020' of frontage on
Belt Line Road and 581' of frontage on Tripp Road. All utilities to site.
The prime retail corner is located at the northeast corner of Belt Line Road and Trip Road in Sunnyvale, Texas.
Belt Line Road is a major six-lane divided thoroughfare, which runs northsouth, connecting I-30 to the north and U.S. 80 to the south. Tripp Road is the south property line of Subject Tract.
According to a master thoroughfare plan for Sunnyvale, Tripp Road may eventually be widened to a four lane divided thoroughfare in Sunnyvale. Tripp Road, from Belt Line Road west to Galloway, is currently being widened and improved by the City of Mesquite to four lanes.
Belt Line Road and 581' of frontage on Tripp Road. All utilities to site.
The prime retail corner is located at the northeast corner of Belt Line Road and Trip Road in Sunnyvale, Texas.
Belt Line Road is a major six-lane divided thoroughfare, which runs northsouth, connecting I-30 to the north and U.S. 80 to the south. Tripp Road is the south property line of Subject Tract.
According to a master thoroughfare plan for Sunnyvale, Tripp Road may eventually be widened to a four lane divided thoroughfare in Sunnyvale. Tripp Road, from Belt Line Road west to Galloway, is currently being widened and improved by the City of Mesquite to four lanes.
Property Facts
| Price | $1,125,498 - $8,867,560 CAD | Property Subtype | Commercial |
| Sale Type | Investment or Owner User | Proposed Use | |
| No. Lots | 6 | Total Lot Size | 13.26 AC |
| Property Type | Land | Cross Streets | Tripp |
| Zoning | LR - LR | ||
| Price | $1,125,498 - $8,867,560 CAD |
| Sale Type | Investment or Owner User |
| No. Lots | 6 |
| Property Type | Land |
| Property Subtype | Commercial |
| Proposed Use | |
| Total Lot Size | 13.26 AC |
| Cross Streets | Tripp |
| Zoning | LR - LR |
6 Lots Available
Lot Tract 1
| Price | $2,046,360 CAD | Lot Size | 2.00 AC |
| Price Per AC | $1,023,180.04 CAD |
| Price | $2,046,360 CAD |
| Price Per AC | $1,023,180.04 CAD |
| Lot Size | 2.00 AC |
Tract 1
Lot Tract 2
| Price | $1,125,498 CAD | Lot Size | 1.44 AC |
| Price Per AC | $781,595.86 CAD |
| Price | $1,125,498 CAD |
| Price Per AC | $781,595.86 CAD |
| Lot Size | 1.44 AC |
Tract 2
Lot Tract 3
| Price | $1,125,498 CAD | Lot Size | 1.44 AC |
| Price Per AC | $781,595.86 CAD |
| Price | $1,125,498 CAD |
| Price Per AC | $781,595.86 CAD |
| Lot Size | 1.44 AC |
Tract 3
Lot Tract 4
| Price | $1,296,028 CAD | Lot Size | 1.58 AC |
| Price Per AC | $820,270.92 CAD |
| Price | $1,296,028 CAD |
| Price Per AC | $820,270.92 CAD |
| Lot Size | 1.58 AC |
Tract 4
Lot Tract 5
| Price | $1,364,240 CAD | Lot Size | 1.95 AC |
| Price Per AC | $699,610.28 CAD |
| Price | $1,364,240 CAD |
| Price Per AC | $699,610.28 CAD |
| Lot Size | 1.95 AC |
Tract 5
Lot Tract 6
| Price | $1,909,936 CAD | Lot Size | 4.85 AC |
| Price Per AC | $393,801.25 CAD |
| Price | $1,909,936 CAD |
| Price Per AC | $393,801.25 CAD |
| Lot Size | 4.85 AC |
Tract 6
Description
Prime Retail Corner at NEC of Belt Line & Tripp Road.
1 1
Fairly walkable
50/100
Exceptionally drivable
100/100
Fairly bikeable
50/100
Property Taxes
| Parcel Number | 65063733010010000 | Improvements Assessment | $0 CAD |
| Land Assessment | $1,403,107 CAD | Total Assessment | $1,403,107 CAD |
Property Taxes
Parcel Number
65063733010010000
Land Assessment
$1,403,107 CAD
Improvements Assessment
$0 CAD
Total Assessment
$1,403,107 CAD
1 of 2
Videos
Matterport 3D Exterior
Matterport 3D Tour
Photos
Street View
Street
Map
1 of 1
Presented by
Belt Line - Vacant Land
Already a member? Log In
Hmm, there seems to have been an error sending your message. Please try again.
Thanks! Your message was sent.
