Log In/Sign Up
Your email has been sent.
Highlights
- Home Depot outparcel
LOT Available
Display Rental Rate as
| Rental Rate |
|
Lot Size | 0.50 AC |
| Lease Term | Negotiable |
| Rental Rate | |
| Lease Term | Negotiable |
| Lot Size | 0.50 AC |
Ground lease or potential BTS.
Property Overview
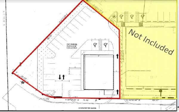
Location, location, location! Half acre outparcel to Home Depot, Walgreen's, and Dollar Tree. Great highway frontage. Suitable for a 4,000 sf building, drive through possible. Approved site plan attached or choose your own.
Property Facts
| Total Space Available | 0.50 AC | Property Subtype | Commercial |
| Property Type | Land | Proposed Use | Commercial |
| Total Space Available | 0.50 AC |
| Property Type | Land |
| Property Subtype | Commercial |
| Proposed Use | Commercial |
1 1
Fairly walkable
50/100
Exceptionally drivable
100/100
Somewhat bikeable
20/100
1 of 17
Videos
Matterport 3D Exterior
Matterport 3D Tour
Photos
Street View
Street
Map
1 of 1
Presented by
Home Depot Outparcel | Branford Hwy
Already a member? Log In
Hmm, there seems to have been an error sending your message. Please try again.
Thanks! Your message was sent.



