Log In/Sign Up
Your email has been sent.
Calle Publicistas, 6 1.9 Acres of Industrial Land Offered at $3,074,855 CAD in Pinto, Madrid 28320



Some information has been automatically translated.
Investment Highlights
- Finalist floor
- Good communication with transport
- Ideal for promoters
Property Facts
| Price | $3,074,855 CAD | Property Type | Land |
| Sale Type | Investment | Property Subtype | Industrial |
| No. Lots | 1 | Total Lot Size | 1.90 AC |
| Price | $3,074,855 CAD |
| Sale Type | Investment |
| No. Lots | 1 |
| Property Type | Land |
| Property Subtype | Industrial |
| Total Lot Size | 1.90 AC |
1 Lot Available
Lot
| Price | $3,074,855 CAD | Lot Size | 1.90 AC |
| Price Per AC | $1,619,401.43 CAD |
| Price | $3,074,855 CAD |
| Price Per AC | $1,619,401.43 CAD |
| Lot Size | 1.90 AC |
Description
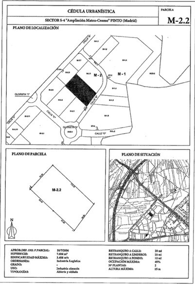
Plot for sale in the industrial area of the Pinto industrial estate, in Madrid. It is a plot that has a total area of 7,684 m2 and a buildable area of 3,458 m2. You can build an industrial warehouse with 2 floors and a height of 15 meters. It is located in a consolidated and expanding industrial area. Ideal for developers who want to promote in the area. It enjoys excellent transport links.
1 1
1 of 4
Videos
Matterport 3D Exterior
Matterport 3D Tour
Photos
Street View
Street
Map
1 of 1
Presented by
Company Not Provided
Calle Publicistas, 6
Already a member? Log In
Hmm, there seems to have been an error sending your message. Please try again.
Thanks! Your message was sent.
Select who you would like to call
