Log In/Sign Up
Your email has been sent.
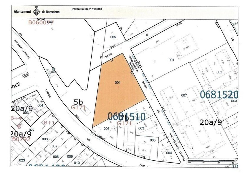
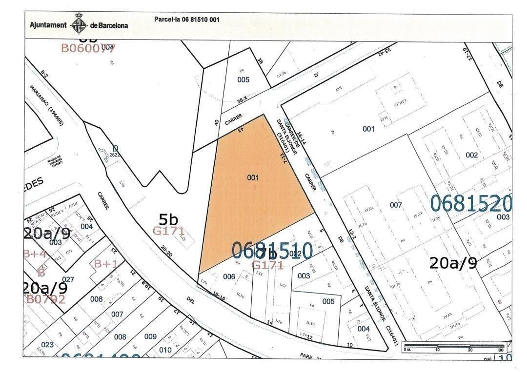
Carrer de Santa Elionor 0.25 Acres of Commercial Land Offered at $724,926 CAD in Gràcia, Barcelona 08024



Some information has been automatically translated.
Investment Highlights
- Ubicado con la fachada a la calle, lo que facilita el acceso a la propiedad en coche, entre otros.
- Cercanía a la autopista B-20 y buena conexión con el transporte público.
Executive Summary
Gran oportunidad para adquirir un solar de 1.000 m² ubicado en Barcelona, clasificado urbanísticamente bajo la clave 7b. Esta calificación corresponde a suelo destinado a equipamientos, lo que significa que no está permitido el uso residencial ni la edificación de viviendas. Es una excelente oportunidad para desarrollar proyectos vinculados a servicios públicos o privados de carácter educativo, sanitario, deportivo o cultural, conforme a la normativa vigente.
Property Facts
| Price | $724,926 CAD | Property Type | Land |
| Sale Type | Investment | Property Subtype | Commercial |
| No. Lots | 1 | Total Lot Size | 0.25 AC |
| Price | $724,926 CAD |
| Sale Type | Investment |
| No. Lots | 1 |
| Property Type | Land |
| Property Subtype | Commercial |
| Total Lot Size | 0.25 AC |
1 Lot Available
Lot
| Price | $724,926 CAD | Lot Size | 0.25 AC |
| Price Per AC | $2,933,654.06 CAD |
| Price | $724,926 CAD |
| Price Per AC | $2,933,654.06 CAD |
| Lot Size | 0.25 AC |
Solar de 1.000 m² ubicado en Barcelona.
Description
1,000 m² lot with a 52 m² commercial property, located in Barcelona.
1 1
1 of 7
Videos
Matterport 3D Exterior
Matterport 3D Tour
Photos
Street View
Street
Map
1 of 1
Presented by
Carrer de Santa Elionor
Already a member? Log In
Hmm, there seems to have been an error sending your message. Please try again.
Thanks! Your message was sent.
Your message has been sent!
Activate your LoopNet account now to track properties, get real-time alerts, save time on future inquiries, and more.
