Log In/Sign Up
Your email has been sent.
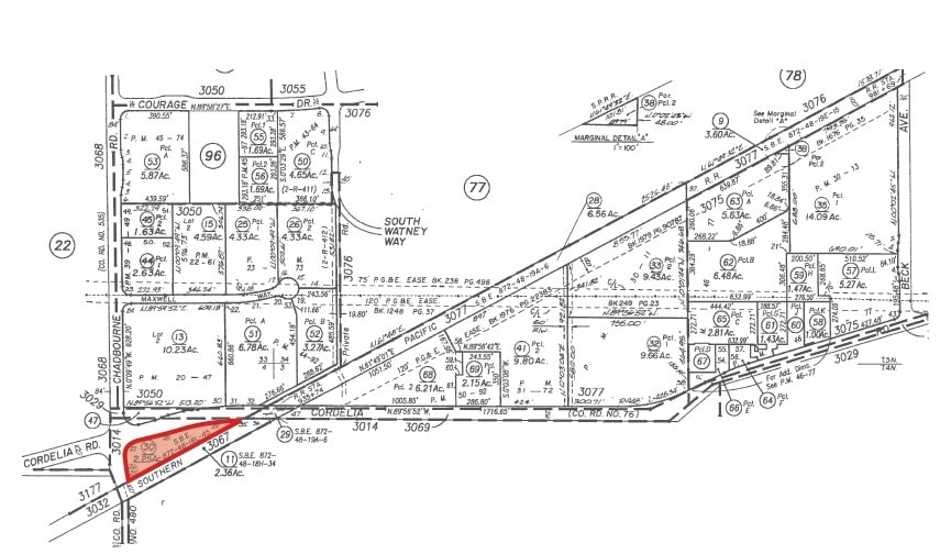
Chadbourne & Cordelia Rd 2.25 Acres of Industrial Land in Fairfield, CA 94534



INVESTMENT HIGHLIGHTS
- Size: approximately ±2.25 gross acres
EXECUTIVE SUMMARY
Size: approximately ±2.25 gross acres
Access: Chadbourne Road / Cordelia Road
Zoning: Light Industrial (IL) - City of Fairfield
Dimensions: ±936’ along Southern Pacific Rail x ±224’ along Chadbourne Road (irregular)
APN: 0028-230-300
Utilities: 12” water - Cordelia Road @ Chadbourne Road
30” sewer - Cordelia Road
15” sewer - Cordelia Road @ Chadbourne Road
12” and 48” storm drain - Cordelia Road @ Chadbourne Road
Less than one (1) mile from Hwy. 12 / I-80
Sales Price: Contact Brokers
Access: Chadbourne Road / Cordelia Road
Zoning: Light Industrial (IL) - City of Fairfield
Dimensions: ±936’ along Southern Pacific Rail x ±224’ along Chadbourne Road (irregular)
APN: 0028-230-300
Utilities: 12” water - Cordelia Road @ Chadbourne Road
30” sewer - Cordelia Road
15” sewer - Cordelia Road @ Chadbourne Road
12” and 48” storm drain - Cordelia Road @ Chadbourne Road
Less than one (1) mile from Hwy. 12 / I-80
Sales Price: Contact Brokers
PROPERTY FACTS
| Sale Type | Investment | Property Subtype | Industrial |
| No. Lots | 1 | Total Lot Size | 2.25 AC |
| Property Type | Land | Parcel Number | 0028-230-300 |
| Zoning | LI - Light Industrial | ||
| Sale Type | Investment |
| No. Lots | 1 |
| Property Type | Land |
| Property Subtype | Industrial |
| Total Lot Size | 2.25 AC |
| Zoning | LI - Light Industrial |
| Parcel Number | 0028-230-300 |
1 LOT AVAILABLE
Lot 1
| Lot Size | 2.25 AC |
| Lot Size | 2.25 AC |
Light Industrial lot
DESCRIPTION
Size: approximately ±2.25 gross acres Access: Chadbourne Road / Cordelia Road Zoning: Light Industrial (IL) - City of Fairfield Dimensions: ±936’ along Southern Pacific Rail x ±224’ along Chadbourne Road (irregular) APN: 0028-230-300 Utilities:• 12” water - Cordelia Road @ Chadbourne Road• 30” sewer - Cordelia Road• 15” sewer - Cordelia Road @ Chadbourne Road• 12” and 48” storm drain - Cordelia Road @ Chadbourne Road Less than one (1) mile from Hwy. 12 / I-80
1 1
1 of 4
VIDEOS
MATTERPORT 3D EXTERIOR
MATTERPORT 3D TOUR
PHOTOS
STREET VIEW
STREET
MAP
1 of 1
Presented by
Chadbourne & Cordelia Rd
Already a member? Log In
Hmm, there seems to have been an error sending your message. Please try again.
Thanks! Your message was sent.
