Log In/Sign Up
Your email has been sent.
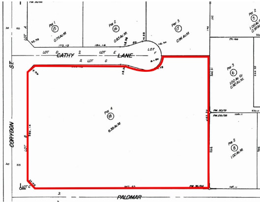
Corydon Rd - NE Corner Corydon and Palomar, Wildomar 6.38 Acres of Commercial Land Offered at $1,924,455 CAD in Wildomar, CA 92595


INVESTMENT HIGHLIGHTS
- Zoning and Business Park General Plan designation provides a wide range of options for development.
- The I15 Freeway is approximately 2.5 miles.
- The surrounding property has residential development and a city park.
EXECUTIVE SUMMARY
Approximately 6.38 acres located at the signalized intersection of Corydon Road and Palomar Street in the City of Wildomar. C-1/C-P Zoning designation provides a wide range of options for development. The surrounding property has residential development and a city park. The I15 Freeway is approximately 2.5 miles. Corydon Road is the east/west corridor at the south end of Lake Elsinore. Traffic count is approximately 12,000 per day. Water, Electricity, telephone, Gas available.
PROPERTY FACTS
| Price | $1,924,455 CAD | Property Subtype | Commercial |
| Sale Type | Investment | Proposed Use | |
| No. Lots | 1 | Total Lot Size | 6.38 AC |
| Property Type | Land | ||
| Zoning | C-1/C-P | ||
| Price | $1,924,455 CAD |
| Sale Type | Investment |
| No. Lots | 1 |
| Property Type | Land |
| Property Subtype | Commercial |
| Proposed Use | |
| Total Lot Size | 6.38 AC |
| Zoning | C-1/C-P |
1 LOT AVAILABLE
Lot 4
| Price | $1,924,455 CAD | Lot Size | 6.38 AC |
| Price Per AC | $301,638.48 CAD |
| Price | $1,924,455 CAD |
| Price Per AC | $301,638.48 CAD |
| Lot Size | 6.38 AC |
C-1/C-P zoning General Plan, designation 6.38 acres Gross.
1 1
PROPERTY TAXES
| Parcel Number | 370-320-018 | Improvements Assessment | $0 CAD |
| Land Assessment | $863,567 CAD | Total Assessment | $863,567 CAD |
PROPERTY TAXES
Parcel Number
370-320-018
Land Assessment
$863,567 CAD
Improvements Assessment
$0 CAD
Total Assessment
$863,567 CAD
1 of 3
VIDEOS
MATTERPORT 3D EXTERIOR
MATTERPORT 3D TOUR
PHOTOS
STREET VIEW
STREET
MAP
1 of 1
Presented by
Corydon Rd - NE Corner Corydon and Palomar, Wildomar
Already a member? Log In
Hmm, there seems to have been an error sending your message. Please try again.
Thanks! Your message was sent.
