Log In/Sign Up
Your email has been sent.
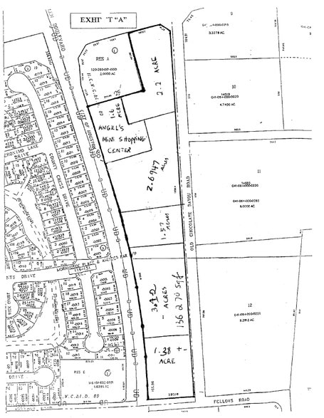
Cullen Blvd And Beltway 8 - 6 ac Corner - Cullen Blvd near Belt 8 South 6 Acres of Commercial Land in Houston, TX 77047



Executive Summary
This 6-acre parcel in Houston offers a prime opportunity for developers and potential owner-users. Located along Cullen Blvd and close to Highway 288, this land provides excellent visibility and accessibility, making it ideal for various commercial projects. The area is experiencing growth and development, further enhancing its investment potential. With ample space for expansion and customization, this parcel is perfect for creating your vision, whether it be retail, mixed-use, or housing developments. Take advantage of this strategic location in a thriving community. The possibilities are endless.
Property Facts
| Sale Type | Investment | Property Subtype | Commercial |
| No. Lots | 1 | Proposed Use | Commercial |
| Property Type | Land | Total Lot Size | 6.00 AC |
| Sale Type | Investment |
| No. Lots | 1 |
| Property Type | Land |
| Property Subtype | Commercial |
| Proposed Use | Commercial |
| Total Lot Size | 6.00 AC |
1 Lot Available
Lot
| Lot Size | 6.00 AC |
| Lot Size | 6.00 AC |
Somewhat walkable
30/100
Exceptionally drivable
90/100
Very bikeable
80/100
Property Taxes
| Parcel Number | 0441330000082 | Improvements Assessment | $0 CAD |
| Land Assessment | $2,019,886 CAD | Total Assessment | $2,019,886 CAD |
Property Taxes
Parcel Number
0441330000082
Land Assessment
$2,019,886 CAD
Improvements Assessment
$0 CAD
Total Assessment
$2,019,886 CAD
1 of 6
Videos
Matterport 3D Exterior
Matterport 3D Tour
Photos
Street View
Street
Map
Presented by
Cullen Blvd And Beltway 8 - 6 ac Corner - Cullen Blvd near Belt 8 South
Already a member? Log In
Hmm, there seems to have been an error sending your message. Please try again.
Thanks! Your message was sent.

