Log In/Sign Up
Your email has been sent.
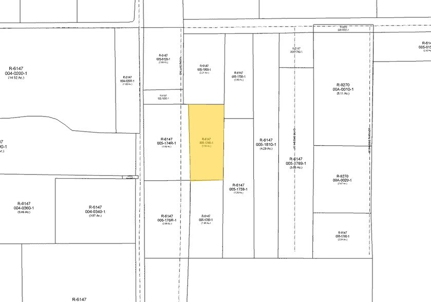
Dallas Parkway & Hwy 380
Prosper, TX 75078
Dallas Parkway Land, Prosper · Land For Sale
·
2.31 AC


Property Facts
| Sale Type | Investment | Property Subtype | Commercial |
| No. Lots | 1 | Proposed Use | Commercial |
| Property Type | Land | Total Lot Size | 2.31 AC |
| Zoning | Commercial | ||
| Sale Type | Investment |
| No. Lots | 1 |
| Property Type | Land |
| Property Subtype | Commercial |
| Proposed Use | Commercial |
| Total Lot Size | 2.31 AC |
| Zoning | Commercial |
1 Lot Available
Lot
| Lot Size | 2.31 AC |
| Lot Size | 2.31 AC |
Description
• +/- 100,754 SF of Commercial Land For Sale on Dallas Parkway, Just 1 Mile North of 380 Corridor • Hwy 380 Corridor. Surrounded by Gates of Prosper, a Multi-Million Dollar Retail Development • All Utilities Available
1 of 7
Videos
Matterport 3D Exterior
Matterport 3D Tour
Photos
Street View
Street
Map
