Log In/Sign Up
Your email has been sent.
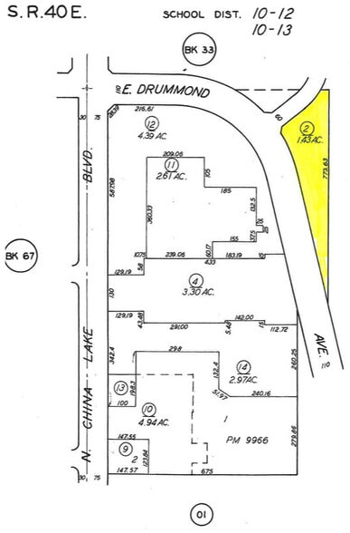
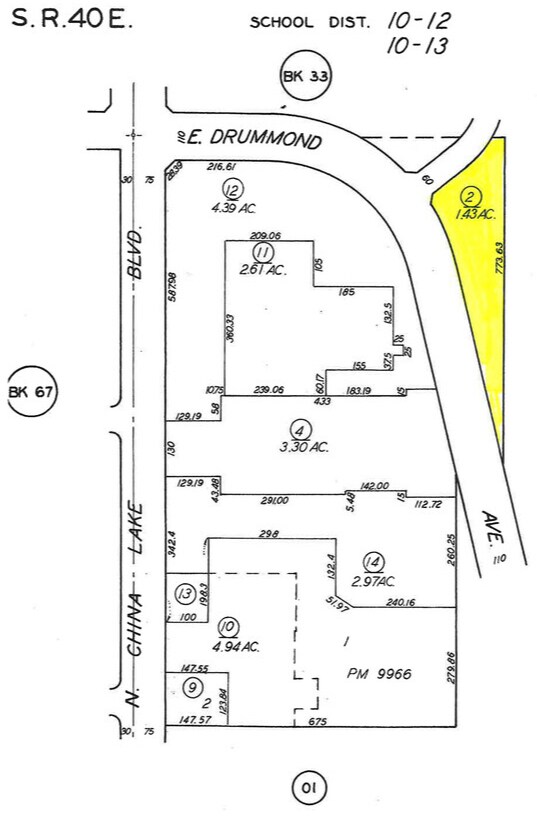
Drummond Ave 1.43 Acres of Commercial Land Offered at $123,274 CAD in Ridgecrest, CA 93555



Investment Highlights
- 1.43-acre commercial lot positioned at the corner of Drummond Avenue and Chelsea Street.
- Located within an Opportunity Zone, providing potential tax incentives for investors.
- Close to schools, retail, and community amenities, ensuring strong demand drivers.
- Zoned C-2, allowing for a variety of commercial and residential development options.
- Centrally situated near North China Lake Boulevard and across from Ridgecrest Towne Center.
- Offered at an attractive price point for a high-visibility development site
Executive Summary
This 1.43-acre commercial parcel on Drummond Avenue presents a prime development opportunity in the growing city of Ridgecrest, California. Strategically located just east of North China Lake Boulevard, the property offers excellent visibility and accessibility in a well-trafficked corridor. Its C-2 zoning provides flexibility for a range of uses, including retail, office, multifamily, or single-family development, making it an attractive option for investors and developers seeking to capitalize on the area’s expanding economic base.
The site benefits from its proximity to Ridgecrest Towne Center, a major retail hub featuring national brands and essential services, as well as nearby public schools and residential neighborhoods. This central location ensures strong consumer traffic and convenient access for future tenants or residents. Additionally, the property lies within a federally designated Opportunity Zone, offering potential tax advantages for qualified investors.
With a competitive price point and a location that combines visibility, accessibility, and growth potential, this parcel is ideally suited for businesses or developers looking to establish a presence in a dynamic and evolving market.
The site benefits from its proximity to Ridgecrest Towne Center, a major retail hub featuring national brands and essential services, as well as nearby public schools and residential neighborhoods. This central location ensures strong consumer traffic and convenient access for future tenants or residents. Additionally, the property lies within a federally designated Opportunity Zone, offering potential tax advantages for qualified investors.
With a competitive price point and a location that combines visibility, accessibility, and growth potential, this parcel is ideally suited for businesses or developers looking to establish a presence in a dynamic and evolving market.
Property Facts
| Price | $123,274 CAD | Property Subtype | Commercial |
| Sale Type | Investment | Proposed Use | |
| No. Lots | 1 | Total Lot Size | 1.43 AC |
| Property Type | Land | Opportunity Zone |
Yes
|
| Zoning | C-2 - Neighborhood Business Zone | ||
| Price | $123,274 CAD |
| Sale Type | Investment |
| No. Lots | 1 |
| Property Type | Land |
| Property Subtype | Commercial |
| Proposed Use | |
| Total Lot Size | 1.43 AC |
| Opportunity Zone |
Yes |
| Zoning | C-2 - Neighborhood Business Zone |
1 Lot Available
Lot
| Price | $123,274 CAD | Lot Size | 1.43 AC |
| Price Per AC | $86,205.52 CAD |
| Price | $123,274 CAD |
| Price Per AC | $86,205.52 CAD |
| Lot Size | 1.43 AC |
Centrally located just east of North China Lake Boulevard in Ridgecrest, California. Across the street from Ridgecrest Towne Center and near public schools.
Fairly walkable
40/100
Exceptionally drivable
100/100
Limited public transit
20/100
Fairly bikeable
40/100
Property Taxes
| Parcel Number | 396-500-02-00-7 | Improvements Assessment | $0 CAD |
| Land Assessment | $359,353 CAD | Total Assessment | $359,353 CAD |
Property Taxes
Parcel Number
396-500-02-00-7
Land Assessment
$359,353 CAD
Improvements Assessment
$0 CAD
Total Assessment
$359,353 CAD
1 of 18
Videos
Matterport 3D Exterior
Matterport 3D Tour
Photos
Street View
Street
Map
Presented by
Bernard F Connolly CCIM
Drummond Ave
Already a member? Log In
Hmm, there seems to have been an error sending your message. Please try again.
Thanks! Your message was sent.

