Log In/Sign Up
Your email has been sent.
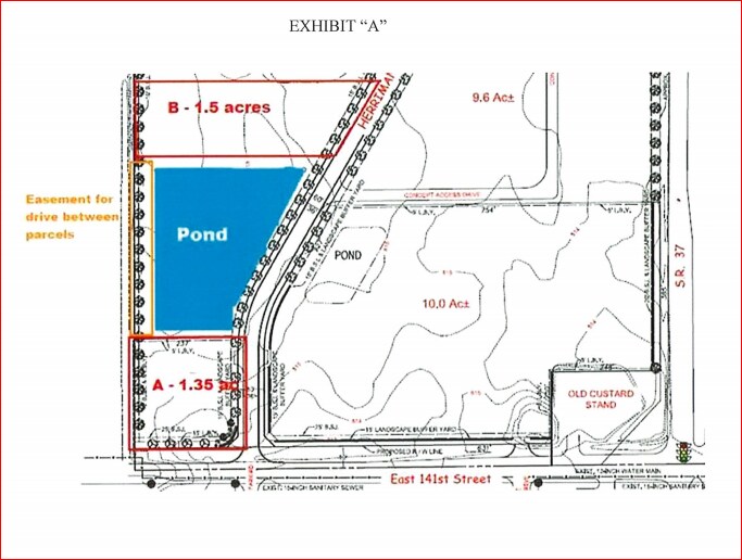
E. 141st Street & Herriman Boulevard
Noblesville, IN 46060
Land For Sale
·
1.35 AC


Investment Highlights
- Excellent visibility
- Located just off SR 37 corridor
- Solid traffic counts
Property Facts
| Sale Type | Investment or Owner User | Property Subtype | Industrial |
| No. Lots | 1 | Proposed Use | Retail |
| Property Type | Land | Total Lot Size | 1.35 AC |
| Zoning | PB/PD - Commercial | ||
| Sale Type | Investment or Owner User |
| No. Lots | 1 |
| Property Type | Land |
| Property Subtype | Industrial |
| Proposed Use | Retail |
| Total Lot Size | 1.35 AC |
| Zoning | PB/PD - Commercial |
1 Lot Available
Lot
| Price | $810,495 CAD | Lot Size | 1.35 AC |
| Price Per AC | $600,366.54 CAD |
| Price | $810,495 CAD |
| Price Per AC | $600,366.54 CAD |
| Lot Size | 1.35 AC |
1.35 acres available with 210' of frontage on E. 141st Street and located just off the SR 37 141st Street exit. Zoned PB/PD allowing for most retail, office and industrial uses. Off-site water retention and city utilities available.
Description
1.35 acres available with 210' of frontage on E. 141st Street and located just off the SR 37 141st Street exit. Property is zoned PB/PD which allows for most retail, office and industrial uses. The property has off-site water retention and city utilities available. The property is part of Ed Martin Pointe development that includes Ed Martin Toyota and U-Haul. The property is adjacent to the new Nickel Plate trail.
1 of 3
Videos
Matterport 3D Exterior
Matterport 3D Tour
Photos
Street View
Street
Map
