Log In/Sign Up
Your email has been sent.
Investment Highlights
- 3.4 Acres
- Easy Access to I-75 via Rochester Road
- Surrounded by Office, Industrial,and Residential
- Many Potential Uses
- Ten Minutes to M-59 and I-696
Executive Summary
One of the last sizable sites available for development on Big Beaver in Troy. High traffic counts with easy access to I-75. Excellent for office, retail, or a high end restaurant. Build to suit for sale or lease.
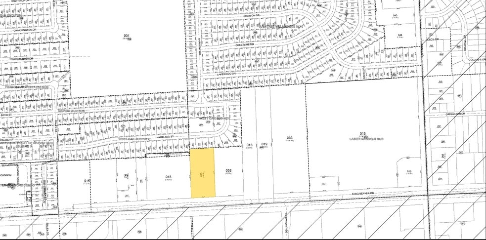
3.4 Acres of Vacant Land, Big Beaver, Troy, Oakland County, Michigan Major crossroads are Big Beaver & Rochester Road.
3.4 Acres of Vacant Land, Big Beaver, Troy, Oakland County, Michigan Major crossroads are Big Beaver & Rochester Road.
Property Facts
| Price | $2,329,697 CAD | Property Subtype | Commercial |
| Sale Type | Investment | Proposed Use | |
| No. Lots | 1 | Total Lot Size | 3.40 AC |
| Property Type | Land | ||
| Zoning | O-1 - opportunity zone | ||
| Price | $2,329,697 CAD |
| Sale Type | Investment |
| No. Lots | 1 |
| Property Type | Land |
| Property Subtype | Commercial |
| Proposed Use | |
| Total Lot Size | 3.40 AC |
| Zoning | O-1 - opportunity zone |
1 Lot Available
Lot 1
| Price | $2,329,697 CAD | Lot Size | 3.40 AC |
| Price Per AC | $685,204.98 CAD |
| Price | $2,329,697 CAD |
| Price Per AC | $685,204.98 CAD |
| Lot Size | 3.40 AC |
1 1
Fairly walkable
50/100
Exceptionally drivable
100/100
Fairly bikeable
50/100
Property Taxes
| Parcel Number | 20-23-401-036 | Improvements Assessment | $0 CAD |
| Land Assessment | $0 CAD | Total Assessment | $1,053,859 CAD |
Property Taxes
Parcel Number
20-23-401-036
Land Assessment
$0 CAD
Improvements Assessment
$0 CAD
Total Assessment
$1,053,859 CAD
1 of 3
Videos
Matterport 3D Exterior
Matterport 3D Tour
Photos
Street View
Street
Map
1 of 1
Presented by
E Big Beaver Rd
Already a member? Log In
Hmm, there seems to have been an error sending your message. Please try again.
Thanks! Your message was sent.


